Trwa ładowanie...
d2fwz51
Temat

huragan dorian

Były huragan Dorian zbliża się do Polski. W Europie najmocniej "oberwie" Wielka Brytania
10 września 2019, 15:00

Były huragan Dorian zbliża się do Polski. W Europie najmocniej "oberwie" Wielka Brytania

Dorian sieje zniszczenie od przeszło tygodnia. Chociaż w ostatnich dniach osłabł, przez Ocean Atlantycki post-tropikalny cyklon idzie teraz w kierunku Europy. Wzburzone przez niego fale mają już do 6-8 metrów wysokości. W Wielkiej Brytanii już we wtorek przyniesie ulewy i wiatr sięgający 110 km/h.

Huragan Dorian. Niewidomy ojciec uratował niepełnosprawnego syna
8 września 2019, 18:52

Huragan Dorian. Niewidomy ojciec uratował niepełnosprawnego syna

Dorian zabił na Bahamach wiele osób. Innym w niezwykłych okolicznościach udało się przeżyć. Media obiega teraz historia niewidomego 49-latka, który uratował z powodzi 24-letniego, niepełnosprawnego syna cierpiącego na porażenie mózgowe.

Huragan Dorian spustoszył Kanadę. Przewrócił ogromny dźwig. Jest wideo
8 września 2019, 07:48

Huragan Dorian spustoszył Kanadę. Przewrócił ogromny dźwig. Jest wideo

Huragan Dorian, który zabił na Bahamach co najmniej 43 osoby, dotarł do Kanady. Efekt? 300 tys. mieszkańców zostało pozbawionych prądu. W śródmieściu Halifaxu doszło do niebezpiecznego zdarzenia. Żywioł przewrócił dźwig budowlany. W sieci krąży nagranie.

Huragan Dorian ma koleżankę. To tropikalny cyklon Gabrielle, który zmierza do Europy
7 września 2019, 11:20

Huragan Dorian ma koleżankę. To tropikalny cyklon Gabrielle, który zmierza do Europy

Nie Brexit, ale tropikalny cyklon Gabrielle może za kilka dni stać się tematem numer jeden na Wyspach Brytyjskich. Meteorolodzy poinformowali, że potężny sztorm znad Atlantyku obrał właśnie kierunek na północ. Za kilka dni Brytyjczyków, czeka nawała deszczów, wichur.

Huragan “Dorian”. Trump za pomyłkę z Alabamą przepraszać nie zamierza
6 września 2019, 13:52

Huragan “Dorian”. Trump za pomyłkę z Alabamą przepraszać nie zamierza

Huragan "Dorian" uderzy w Alabamę - przekonuje prezydent USA. Mimo że potwierdzenia nie znajdzie na żadnej z map synoptycznych, nie jest to problem. Zawsze można przecież stworzyć własną.

d2fwz51
Pogoda. Huragan Dorian zbiera żniwo w USA. Wzrosła liczba ofiar
6 września 2019, 07:12

Pogoda. Huragan Dorian zbiera żniwo w USA. Wzrosła liczba ofiar

Huragan Dorian pochłonął już życie 35 osób. Rząd wysp Bahama ostrzega, że bilans ofiar będzie "oszałamiający". Obecnie burza przeczesuje wybrzeże Karoliny Północnej. Dorian wydzielił też około 15 tornad.

Huragan Dorian zmierza na północ. Trzy kolejne stany zagrożone
5 września 2019, 19:42

Huragan Dorian zmierza na północ. Trzy kolejne stany zagrożone

Huragan Dorian wbrew prognozom nie uderzył we Florydę. Żywioł zmierza na północ, a zagrożone są trzy kolejne stany USA: Georgia, Karolina Południowa i Północna. Nakaz ewakuacji dostało ponad 2,2 mln Amerykanów.

Pogoda. Huragan Dorian u wybrzeży Florydy. 20 ofiar na wyspach Bahama, 1 w USA
5 września 2019, 05:59

Pogoda. Huragan Dorian u wybrzeży Florydy. 20 ofiar na wyspach Bahama, 1 w USA

Huragan Dorian zbliża się do południowo-wschodniego wybrzeża USA. Wkrótce ma uderzyć w Karolinę Północną. - Kończy się czas na ewakuację - ostrzega gubernator Henry McMaster. Potężna burza ma drugą kategorię w pięciostopniowej skali.

Królowa Elżbieta II przesyła kondolencje ofiarom huraganu Dorian. "Szok i smutek"
4 września 2019, 12:47

Królowa Elżbieta II przesyła kondolencje ofiarom huraganu Dorian. "Szok i smutek"

Królowa Elżbieta II napisała list, w którym zwróciła się do mieszkańców Bahamów. Monarchini wyraziła współczucie rodzinom i przyjaciołom ofiar huraganu Dorian. W wyniku pustoszącego działania żywiołu na wyspach zginęło co najmniej 7 osób.

Huragan Dorian już u wybrzeży Florydy. Rośnie liczba zabitych
4 września 2019, 07:27

Huragan Dorian już u wybrzeży Florydy. Rośnie liczba zabitych

Huragan Dorian nad ranem polskiego czasu dotarł w pobliże przylądka Canaveral na Florydzie. Wiatr osiąga prędkość ok. 180 km/h. Wcześniej żywioł zdemolował Bahamy, gdzie zginęło co najmniej siedem osób. Straty są katastrofalne, ale wciąż nie można ich oszacować.

d2fwz51
Huragan Dorian nad Florydą. "Kluczowe 36 godzin"
3 września 2019, 23:08

Huragan Dorian nad Florydą. "Kluczowe 36 godzin"

Huragan Dorian zbliża się do wybrzeży Florydy. Prognozy na najbliższe 36 godzin wskazują, że żywioł może "prześliznąć się" po wybrzeżu Florydy. Prędkość wiatru w oku huraganu zmniejszyła się, ale Dorian zwiększył swoją powierzchnię.

Huragan Dorian zatrzymał Donalda Trumpa? Polacy ocenili nieobecność prezydenta USA [BADANIE]
3 września 2019, 21:07

Huragan Dorian zatrzymał Donalda Trumpa? Polacy ocenili nieobecność prezydenta USA [BADANIE]

Donald Trump miał być najważniejszym gościem obchodów 80. rocznicy wybuchu II wojny światowej. Prezydenta USA w ostatniej chwili w kraju zatrzymał huragan Dorian. Co Polacy sadzą o nieobecności Trumpa 1 września w Warszawie?

Huragan Dorian. Tak Donald Trump walczy z żywiołem. Gra w golfa, tweetuje i sieje dezinformację
3 września 2019, 16:05

Huragan Dorian. Tak Donald Trump walczy z żywiołem. Gra w golfa, tweetuje i sieje dezinformację

Donald Trump pozostał w kraju i odwołał wizytę w Polsce, by monitorować zagrożenie związane z huraganem Dorian. Od soboty robi to, grając w golfa i dzieląc się z wyborcami swoim podziwem dla siły huraganu. A przy okazji wywołuje zamieszanie w stanach, których huragan nie dosięgnie.

Huragan Dorian nie daje za wygraną. Nagrania mieszkańców Bahamów przyprawiają o dreszcze
3 września 2019, 14:42

Huragan Dorian nie daje za wygraną. Nagrania mieszkańców Bahamów przyprawiają o dreszcze

Huragan Dorian od dwóch dni utrzymuje się nad wyspami Bahama. Dotychczasowy bilans po uderzeniu żywiołu to pięć ofiar śmiertelnych i ok. 13 tys. uszkodzonych lub zniszczonych domów. Statystyki te mogą okazać się znacznie tragiczniejsze.

Huragan Dorian zbliża się do USA. Donald Trump wysyła ostrzeżenia z pola golfowego
3 września 2019, 08:50

Huragan Dorian zbliża się do USA. Donald Trump wysyła ostrzeżenia z pola golfowego

W momencie, gdy huragan Dorian zbliżał się do USA, Donald Trump został po raz kolejny zauważony na swoim prywatnym polu golfowym. Pierwszy raz przyłapano go w sobotę, tuż po tym, jak przełożył swój przyjazd do Polski.

d2fwz51
Pogoda. Huragan Dorian zabił już pięć osób. Potężna burza coraz bliżej USA
3 września 2019, 05:33

Pogoda. Huragan Dorian zabił już pięć osób. Potężna burza coraz bliżej USA

Huragan Dorian zabił już co najmniej pięć osób na wyspach Bahama w Abaco. Teraz potężna burza powoli zmierza w kierunku wschodniego wybrzeża Florydy. W niektórych częściach stanu trwa obowiązkowa ewakuacja.

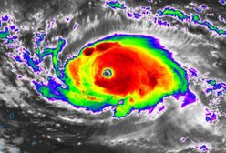
Huragan Dorian. Ekipa łowców huraganów wleciała w samo oko żywiołu. Zrobili zdjęcia
2 września 2019, 17:25

Huragan Dorian. Ekipa łowców huraganów wleciała w samo oko żywiołu. Zrobili zdjęcia

Huragan Dorian wykreował nowych bohaterów amerykańskich mediów. To meteorolog Garret Black i ekipa odważnych pilotów wojskowych nazwanych "łowcami huraganów". Wlecieli w oko huraganu Dorian, aby zrobić zdjęcia i zebrać najważniejsze dane o przemieszczającym się żywiole.

Huragan Dorian i pierwsza ofiara kataklizmu. Nie żyje 8-letni chłopiec
2 września 2019, 15:48

Huragan Dorian i pierwsza ofiara kataklizmu. Nie żyje 8-letni chłopiec

Dorian dotarł w niedzielę do Bahamów i zniszczył tam kilkanaście tysięcy domów. Teraz kieruje się w stronę USA. Władze kolejnych amerykańskich stanów zarządzają ewakuację, a media donoszą o pierwszej ofierze huraganu.

Huragan Dorian pustoszy Bahamy. Zobacz nagrania
2 września 2019, 10:46

Huragan Dorian pustoszy Bahamy. Zobacz nagrania

O katastrofalnych zniszczeniach na Bahamach donoszą mieszkańcy, którym mimo huraganu udało się połączyć z internetem. Dorian ma piątą - najwyższą kategorię, a wiatr w porywach sięga 350 km/h. Żywioł zbliża się do Florydy.

Huragan Dorian. Stanisław Karczewski o nieobecności Donalda Trumpa. "Przyćmiłby uroczystość"
2 września 2019, 09:12

Huragan Dorian. Stanisław Karczewski o nieobecności Donalda Trumpa. "Przyćmiłby uroczystość"

Marszałek Sejmu żałuje absencji prezydenta USA na 80. rocznicy wybuchu II wojny światowej. Starał się jednak znaleźć pozytywne strony tej sytuacji. Uważa, że w przypadku obecności Donalda Trumpa mogłyby nie wybrzmieć dostatecznie słowa prezydenta Niemiec Franka Steinmeiera.

d2fwz51
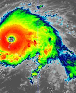
Pogoda. Huragan Dorian uderzył w Bahamy. 350 km/h i katastrofalne fale
2 września 2019, 05:51

Pogoda. Huragan Dorian uderzył w Bahamy. 350 km/h i katastrofalne fale

Pogoda. Huragan Dorian szaleje w rejonie północnych Bahamów. Wiatr, którego porywy sięgają 350 km/h, kompletnie zniszczył zabudowę wyspy Elbow Cay. Władze ostrzegają, że żywioł jest coraz groźniejszy.

Huragan Dorian. Wyspa Wielkie Abaco w oku huraganu. Są pierwsze zdjęcia zniszczeń
1 września 2019, 21:21

Huragan Dorian. Wyspa Wielkie Abaco w oku huraganu. Są pierwsze zdjęcia zniszczeń

Pierwsze uderzenie huraganu Dorian wyspa Wielkie Abaco ma już za sobą. Ale to jeszcze nie koniec piekła. Gdy wyspa znalazła się w oku huraganu i wiatr ucichł, mieszkańcy natychmiast wyszli na zewnątrz, by udokumentować zniszczenia. Filmy, które trafiły do sieci, są wstrząsające.

Huragan Dorian. Uderzył w Bahamy, już sieje spustoszenie. Wiatr osiąga prędkość 290 km/h
1 września 2019, 19:07

Huragan Dorian. Uderzył w Bahamy, już sieje spustoszenie. Wiatr osiąga prędkość 290 km/h

Huragan Dorian uderzył w pierwszą z wysp na Bahamach - Wielkie Abaco. Już wiadomo, że jest to najsilniejszy huragan, jaki nawiedził Bahamy od czasów, gdy rozpoczęto pomiary. Wiatr może osiągnąć prędkość nawet ponad 350 km/h!

Pogoda. Huragan Dorian u wybrzeży Bahamów. Chwila przed uderzeniem
1 września 2019, 09:55

Pogoda. Huragan Dorian u wybrzeży Bahamów. Chwila przed uderzeniem

Huragan Dorian zbliża się do wybrzeży północnych Bahamów. Mieszkańcy wschodnich wybrzeży Stanów Zjednoczonych czekają na uderzenie żywiołu i porywy wiatru o prędkości 250 km/h.

Zbliża się Dorian. Niszczycielski huragan ma już 4. kategorię
31 sierpnia 2019, 06:28

Zbliża się Dorian. Niszczycielski huragan ma już 4. kategorię

Huragan Dorian ma już 4. kategorię w 5-stopniowej skali. Zmierza w kierunku Bahamów. Zdaniem Donalda Trumpa może przerodzić się w "absolutnego potwora".

d2fwz51
d2fwz51
Więcej tematów

Pobieranie, zwielokrotnianie, przechowywanie lub jakiekolwiek inne wykorzystywanie treści dostępnych w niniejszym serwisie - bez względu na ich charakter i sposób wyrażenia (w szczególności lecz nie wyłącznie: słowne, słowno-muzyczne, muzyczne, audiowizualne, audialne, tekstowe, graficzne i zawarte w nich dane i informacje, bazy danych i zawarte w nich dane) oraz formę (np. literackie, publicystyczne, naukowe, kartograficzne, programy komputerowe, plastyczne, fotograficzne) wymaga uprzedniej i jednoznacznej zgody Wirtualna Polska Media Spółka Akcyjna z siedzibą w Warszawie, będącej właścicielem niniejszego serwisu, bez względu na sposób ich eksploracji i wykorzystaną metodę (manualną lub zautomatyzowaną technikę, w tym z użyciem programów uczenia maszynowego lub sztucznej inteligencji). Powyższe zastrzeżenie nie dotyczy wykorzystywania jedynie w celu ułatwienia ich wyszukiwania przez wyszukiwarki internetowe oraz korzystania w ramach stosunków umownych lub dozwolonego użytku określonego przez właściwe przepisy prawa.Szczegółowa treść dotycząca niniejszego zastrzeżenia znajduje siętutaj