Trwa ładowanie...
d9iv6gg
Temat

Floryda(strona 5/1)

USA. Policja aresztowała aligatora. Ostro walczył o wolność
26 maja 2021, 12:15

USA. Policja aresztowała aligatora. Ostro walczył o wolność

Na Florydzie policjanci aresztowali wielkiego aligatora. Zwierzę stawiało opór podczas zatrzymania. Na Facebooku opublikowano humorystyczny film z tego zdarzenia.

Niesamowite znalezisko płetwonurków. Może mieć nawet 100 tys. lat!
3 maja 2021, 20:03

Niesamowite znalezisko płetwonurków. Może mieć nawet 100 tys. lat!

Niespotykane znalezisko płetwonurków z USA na Florydzie. W wodach rzeki znaleziono czarną kość, której waga sięga ponad 20 kilogramów, a jej wiek datowany jest nawet na 100 tys. lat. Według naukowców mogła należeć do mamuta kolumbijskiego.

USA. 14-latek przejechany autem. Kobieta za kierownicą postrzelona
8 lutego 2021, 16:55

USA. 14-latek przejechany autem. Kobieta za kierownicą postrzelona

W Tampie na Florydzie doszło w niedzielę do dramatycznych zdarzeń. 14-latek zginął potrącony przez samochód, a siedząca za kierownicą młoda kobieta została postrzelona i w krytycznym stanie trafiła do szpitala. Wcześniej między dwójką miało dojść do kłótni.

USA. Donald Trump otwiera "biuro byłego prezydenta" na Florydzie
26 stycznia 2021, 08:55

USA. Donald Trump otwiera "biuro byłego prezydenta" na Florydzie

Donald Trump otwiera na Florydzie prywatne biuro, które ma realizować program jego byłej prezydenckiej administracji. Kolejnym zadaniem ma być wspieranie interesów USA, czy zarządzanie korespondencją polityka.

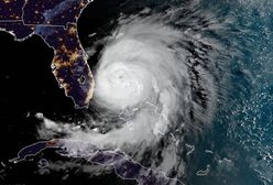
Huragan Isaias to teraz burza tropikalna. Zbliża się do wybrzeży Florydy
3 sierpnia 2020, 06:00

Huragan Isaias to teraz burza tropikalna. Zbliża się do wybrzeży Florydy

Burza tropikalna Isaias zbliża się do południowo-wschodniego wybrzeża Florydy. Żywioł, który był wcześniej określany jako huragan, przeszedł nad Dominikaną i Portoryko.

d9iv6gg
George Floyd zginął w Minneapolis. Polka z Florydy: "Biały przywilej musi się skończyć"
2 czerwca 2020, 11:12

George Floyd zginął w Minneapolis. Polka z Florydy: "Biały przywilej musi się skończyć"

Zamieszki w USA. - Mieszkam w Stanach Zjednoczonych niecałe dziewięć lat i zdaję sobie sprawę, że rasizm w tym kraju nie zaczął się wczoraj. Mam jednak wrażenie, że w ostatnich kilku latach takich drastycznych historii jest więcej. Myślę, że przypadek George’a Floyda przelał czarę goryczy - mówi WP Polka, która mieszka na Florydzie.

Stany Zjednoczone. Nowe fakty ws. strzelaniny w bazie na Florydzie. Napastnik był zawiązany z Al-Kaidą
19 maja 2020, 06:06

Stany Zjednoczone. Nowe fakty ws. strzelaniny w bazie na Florydzie. Napastnik był zawiązany z Al-Kaidą

Stany Zjednoczone. Pojawiły się nowe fakty ws. strzelaniny, do której doszło w bazie lotnictwa na Florydzie. FBI twierdzi, że napastnik był związany z Al-Kaidą.

USA. Strzelanina w bazie marynarki wojennej na Florydzie. Napastnik nie żyje
6 grudnia 2019, 15:57

USA. Strzelanina w bazie marynarki wojennej na Florydzie. Napastnik nie żyje

Cztery osoby nie żyją po strzelaninie, do której doszło w bazie lotnictwa marynarki wojennej USA w Pensacola na Florydzie. Jedną z ofiar jest napastnik. Do szpitala trafiło co najmniej 11 osób.

USA. Strzelanina na Florydzie. Są ofiary
6 grudnia 2019, 05:46

USA. Strzelanina na Florydzie. Są ofiary

USA. Napad na sklep jubilerski, a potem pościg i strzelanina. Zginęły cztery osoby. Wszystko rozegrało się na oczach telewidzów.

Pogoda. Huragan Dorian u wybrzeży Florydy. 20 ofiar na wyspach Bahama, 1 w USA
5 września 2019, 05:59

Pogoda. Huragan Dorian u wybrzeży Florydy. 20 ofiar na wyspach Bahama, 1 w USA

Huragan Dorian zbliża się do południowo-wschodniego wybrzeża USA. Wkrótce ma uderzyć w Karolinę Północną. - Kończy się czas na ewakuację - ostrzega gubernator Henry McMaster. Potężna burza ma drugą kategorię w pięciostopniowej skali.

d9iv6gg
Huragan Dorian już u wybrzeży Florydy. Rośnie liczba zabitych
4 września 2019, 07:27

Huragan Dorian już u wybrzeży Florydy. Rośnie liczba zabitych

Huragan Dorian nad ranem polskiego czasu dotarł w pobliże przylądka Canaveral na Florydzie. Wiatr osiąga prędkość ok. 180 km/h. Wcześniej żywioł zdemolował Bahamy, gdzie zginęło co najmniej siedem osób. Straty są katastrofalne, ale wciąż nie można ich oszacować.

Huragan Dorian nad Florydą. "Kluczowe 36 godzin"
3 września 2019, 23:08

Huragan Dorian nad Florydą. "Kluczowe 36 godzin"

Huragan Dorian zbliża się do wybrzeży Florydy. Prognozy na najbliższe 36 godzin wskazują, że żywioł może "prześliznąć się" po wybrzeżu Florydy. Prędkość wiatru w oku huraganu zmniejszyła się, ale Dorian zwiększył swoją powierzchnię.

Huragan Dorian zbliża się do USA. Donald Trump wysyła ostrzeżenia z pola golfowego
3 września 2019, 08:50

Huragan Dorian zbliża się do USA. Donald Trump wysyła ostrzeżenia z pola golfowego

W momencie, gdy huragan Dorian zbliżał się do USA, Donald Trump został po raz kolejny zauważony na swoim prywatnym polu golfowym. Pierwszy raz przyłapano go w sobotę, tuż po tym, jak przełożył swój przyjazd do Polski.

Pogoda. Huragan Dorian zabił już pięć osób. Potężna burza coraz bliżej USA
3 września 2019, 05:33

Pogoda. Huragan Dorian zabił już pięć osób. Potężna burza coraz bliżej USA

Huragan Dorian zabił już co najmniej pięć osób na wyspach Bahama w Abaco. Teraz potężna burza powoli zmierza w kierunku wschodniego wybrzeża Florydy. W niektórych częściach stanu trwa obowiązkowa ewakuacja.

Huragan Dorian. Ekipa łowców huraganów wleciała w samo oko żywiołu. Zrobili zdjęcia
2 września 2019, 17:25

Huragan Dorian. Ekipa łowców huraganów wleciała w samo oko żywiołu. Zrobili zdjęcia

Huragan Dorian wykreował nowych bohaterów amerykańskich mediów. To meteorolog Garret Black i ekipa odważnych pilotów wojskowych nazwanych "łowcami huraganów". Wlecieli w oko huraganu Dorian, aby zrobić zdjęcia i zebrać najważniejsze dane o przemieszczającym się żywiole.

d9iv6gg
Pogoda. Huragan Dorian u wybrzeży Bahamów. Chwila przed uderzeniem
1 września 2019, 09:55

Pogoda. Huragan Dorian u wybrzeży Bahamów. Chwila przed uderzeniem

Huragan Dorian zbliża się do wybrzeży północnych Bahamów. Mieszkańcy wschodnich wybrzeży Stanów Zjednoczonych czekają na uderzenie żywiołu i porywy wiatru o prędkości 250 km/h.

Huragan Dorian jest aż tak straszny? Z jego powodu Donald Trump odwołał wizytę w Polsce
30 sierpnia 2019, 11:57

Huragan Dorian jest aż tak straszny? Z jego powodu Donald Trump odwołał wizytę w Polsce

To meteorolodzy, a nie politycy jako pierwsi przeczuwali, że Donald Trump może odwołać wizytę w Polsce. Już 28 sierpnia komentowali, że huragan Dorian rośnie w siłę, stając się zabójczym monstrum, a prezydent Trump będzie musiał pozostać w kraju.

Makowski: "Odwołanie wizyty Trumpa to kwestia wewnątrzamerykańska. Na Florydzie ważą się losy wyborów" [OPINIA]
30 sierpnia 2019, 11:42

Makowski: "Odwołanie wizyty Trumpa to kwestia wewnątrzamerykańska. Na Florydzie ważą się losy wyborów" [OPINIA]

Wraz z ogłoszeniem przez prezydenta Trumpa informacji o odwołaniu wizyty do Polski ze względu na huragan nadciągający nad Florydę, w mediach i polityce pojawiło się wiele teorii, tłumaczących drugie dno decyzji. A ta, wbrew pozorom jest bardzo pragmatyczna. Bez Florydy nie da się wygrać prezydentury. Co dalej? Również z kwestiami wizowymi?

USA: stan wyjątkowy na Florydzie. Zbliża sie huragan Dorian
29 sierpnia 2019, 08:10

USA: stan wyjątkowy na Florydzie. Zbliża sie huragan Dorian

Do tej pory był burzą tropikalną. Dorian staje się jednak huraganem, a jego siła cały czas rośnie. Tym samym stwarza ogromne zagrożenie. Dlatego władze ogłosiły na Florydzie stan wyjątkowy.

USA: Napad na bank na Florydzie. Pięć osób poniosło śmierć z rąk napastnika
24 stycznia 2019, 12:55

USA: Napad na bank na Florydzie. Pięć osób poniosło śmierć z rąk napastnika

Na Florydzie doszło do napadu na jeden z banków. Napastnik otworzył ogień i zastrzelił pięć osób. Podejrzany 21-latek trafił w ręce policji.

d9iv6gg
Huragan Michael odsłonił wraki statków sprzed 119 lat
24 października 2018, 11:17

Huragan Michael odsłonił wraki statków sprzed 119 lat

Huragan Michael uderzył niedawno w wybrzeże Florydy i południowo-wschodnie Stany Zjednoczone. Okazuje się, że jego niszczycielska siła odsłoniła wraki statków sprzed 119 lat.

USA: Huragan Michael zbliża się do Florydy
9 października 2018, 13:18

USA: Huragan Michael zbliża się do Florydy

Stany Zjednoczone będą musiały walczyć z kolejnym żywiołem. Do wybrzeży Florydy zbliża się huragan Michael. Meteorolodzy sugerują, że będzie on najsilniejszy w tym rejonie od 15 lat. Gubernator Rick Scott zarządził już ewakuację, a gwardia narodowa została postawiona w stan gotowości.

Floryda. Kierowca Ubera zabił mężczyznę, który groził mu bronią
31 sierpnia 2018, 13:46

Floryda. Kierowca Ubera zabił mężczyznę, który groził mu bronią

Kierowca Ubera na Florydzie postrzelił mężczyznę, który groził mu bronią. Pracownik firmy otrzymał pochwały ze strony lokalnej policji i nie usłyszy żadnych zarzutów.

USA: Ksiądz z Polski wziął z parafialnej kasy ponad 200 tys. dol.
20 sierpnia 2018, 15:39

USA: Ksiądz z Polski wziął z parafialnej kasy ponad 200 tys. dol.

O sprawie z parafii św. Colemana w Pompano Beach piszą lokalne media na Florydzie. Głos zabrała też archidiecezja na Florydzie.

Akcja policji w Delray Beach na Florydzie. Matka wyprowadziła dzieci na gzyms
25 maja 2018, 10:52

Akcja policji w Delray Beach na Florydzie. Matka wyprowadziła dzieci na gzyms

Policjanci zostali zawiadomieni przez kilku świadków, którzy zobaczyli kobietę z dwojgiem małych dzieci na gzymsie. Akcję ściągania dzieci nagrała kamera umieszczona na mundurze jednego z funkcjonariuszy.

d9iv6gg
d9iv6gg
Więcej tematów

Pobieranie, zwielokrotnianie, przechowywanie lub jakiekolwiek inne wykorzystywanie treści dostępnych w niniejszym serwisie - bez względu na ich charakter i sposób wyrażenia (w szczególności lecz nie wyłącznie: słowne, słowno-muzyczne, muzyczne, audiowizualne, audialne, tekstowe, graficzne i zawarte w nich dane i informacje, bazy danych i zawarte w nich dane) oraz formę (np. literackie, publicystyczne, naukowe, kartograficzne, programy komputerowe, plastyczne, fotograficzne) wymaga uprzedniej i jednoznacznej zgody Wirtualna Polska Media Spółka Akcyjna z siedzibą w Warszawie, będącej właścicielem niniejszego serwisu, bez względu na sposób ich eksploracji i wykorzystaną metodę (manualną lub zautomatyzowaną technikę, w tym z użyciem programów uczenia maszynowego lub sztucznej inteligencji). Powyższe zastrzeżenie nie dotyczy wykorzystywania jedynie w celu ułatwienia ich wyszukiwania przez wyszukiwarki internetowe oraz korzystania w ramach stosunków umownych lub dozwolonego użytku określonego przez właściwe przepisy prawa.Szczegółowa treść dotycząca niniejszego zastrzeżenia znajduje siętutaj