Trwa ładowanie...
d4jxdon
Temat

Floryda(strona 2/1)

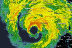
Biden odwołuje wizyty. Wszystko za sprawą huraganu Milton
8 października 2024, 17:53

Biden odwołuje wizyty. Wszystko za sprawą huraganu Milton

Prezydent Stanów Zjednoczonych Joe Biden odwołał swoją planowaną wizytę w Niemczech oraz Afryce, aby nadzorować działania związane z nadchodzącym huraganem Milton. Informację o zmianie planów prezydenta przekazała we wtorek rzeczniczka Białego Domu Karine Jean-Pierre.

"Huragan stulecia". W sieci nagrania po przejściu Heleny
27 września 2024, 16:02

"Huragan stulecia". W sieci nagrania po przejściu Heleny

Huragan Helena czwartej kategorii uderzył w amerykańskie stany Floryda i Georgia. W sieci pojawiły się nagrania, które pokazują ogrom zniszczeń, które poczynił żywioł.

Działo się w nocy. Huragan Helene naciera. "Musicie to zrobić natychmiast"
27 września 2024, 05:42

Działo się w nocy. Huragan Helene naciera. "Musicie to zrobić natychmiast"

Wydarzyło się, gdy spałeś. Oto, co odnotowały światowe agencje w nocy z czwartku na piątek.

Działo się w nocy. Na Florydzie wykonano karę śmierci
30 sierpnia 2024, 05:05

Działo się w nocy. Na Florydzie wykonano karę śmierci

Wydarzyło się, gdy spałeś. Oto, co odnotowały światowe agencje w nocy z czwartku na piątek.

Dziesiątki rannych po wypadku autobusu na Florydzie
14 maja 2024, 19:56

Dziesiątki rannych po wypadku autobusu na Florydzie

Osiem osób zginęło, a 45 kolejnych trafiło do szpitala z ranami w wyniku wtorkowego wypadku autobusu w Ocali na Florydzie - podała miejscowa policja. Autobus przewoził rolników do pracy na farmie.

d4jxdon
Dramat w USA. Ciało 13-latki znalezione wśród drzew. "Chcę uciec i zamieszkać w lesie"
4 marca 2024, 13:11

Dramat w USA. Ciało 13-latki znalezione wśród drzew. "Chcę uciec i zamieszkać w lesie"

Biuro szeryfa hrabstwa Orange poinformowało, że ciało zaginionej dziewczynki z Florydy, Madeline Soto, znaleziono w zalesionym terenie wzdłuż Hickory Tree Road w piątkowe popołudnie. 13-latka miała wcześniej stwierdzić, że woli mieszkać w lesie niż w domu. Oprawcą mógł być partner jej matki.

Katastrofa odrzutowca na autostradzie w USA. Jest nowe nagranie
14 lutego 2024, 07:42

Katastrofa odrzutowca na autostradzie w USA. Jest nowe nagranie

Prywatny odrzutowiec pasażerski rozbił się w piątek po południu czasu miejscowego podczas awaryjnego lądowania na zatłoczonej autostradzie na Florydzie. Zginęły dwie osoby. W sieci pojawiło się nagranie, na którym zarejestrowano moment katastrofy.

Koszmar na autostradzie w USA. To cud, że pasażerowie samolotu przeżyli
10 lutego 2024, 07:58

Koszmar na autostradzie w USA. To cud, że pasażerowie samolotu przeżyli

Koszmar na autostradzie w południowo-zachodniej Florydzie. Niewielki prywatny odrzutowiec próbował na niej awaryjnie wylądować, zderzając się z dwoma samochodami. W sieci pojawiły się zdjęcia i nagrania z momentu wypadku.

Seks ryb doprowadza Amerykanów do szaleństwa
23 stycznia 2024, 13:02

Seks ryb doprowadza Amerykanów do szaleństwa

Mieszkańcy Tampy we Florydzie zbierają przez internet pieniądze, aby znaleźć źródło hałasu, który doprowadza ich do szaleństwa. Amerykański naukowiec twierdzi, że zna odpowiedź i wskazuje na odgłosy godowe ryb.

Raperka zastrzeliła menadżera na ulicy. Chwilę potem przejechało ją auto
20 listopada 2023, 09:12

Raperka zastrzeliła menadżera na ulicy. Chwilę potem przejechało ją auto

Raperka Kevhani Camilla Hicks, występująca pod pseudonimem Key Vhani, została oskarżona o śmiertelnie postrzelenie swojego menadżera po kłótni na ulicy w Miami. Chwilę później została potrącona przez białego sedana. Według jej prawników 27-latka zaatakowała mężczyznę w samoobronie.

d4jxdon
Kurier z Florydy pluł na zamówienie. Nagranie trafiło do sieci
13 września 2023, 15:34

Kurier z Florydy pluł na zamówienie. Nagranie trafiło do sieci

Kamery monitoringu są już wszędzie. Przekonał się o tym kurier dostarczający jedzenie, który napluł na przyniesione zamówienie. Przyczyną bulwersującego zachowania prawdopodobnie był niski napiwek.

Martwe 4-letnie bliźnięta przytulały się do siebie. Straszne odkrycie w USA
7 września 2023, 12:27

Martwe 4-letnie bliźnięta przytulały się do siebie. Straszne odkrycie w USA

4-letnie bliźnięta z Florydy, Aurora i Kellan, chłopiec, w piątkowy wieczór zostali położeni do łóżka przez swojego ojca Dona Starra. W środku nocy dzieci postanowiły schować się w skrzyni na zabawki. Okazała się dla nich śmiertelną pułapką.

Helikopter runął na ziemię. Świadek nagrał moment wypadku na Florydzie
29 sierpnia 2023, 10:45

Helikopter runął na ziemię. Świadek nagrał moment wypadku na Florydzie

Świadek uchwycił na nagraniu dramatyczny moment rozbicia się helikoptera ratownictwa medycznego. Do sytuacji doszło w poniedziałek w pobliżu Fort Lauderdale na Florydzie. Służby poinformowały o śmierci dwóch osób. Cztery ranne osoby trafiły do szpitala. Na nagraniu świadka, opublikowanym przez agencję AP, widać płomienie wydobywające się ze środkowej części helikoptera, a za nim pióropusz dymu. Następnie sprzęt wydaje się pękać na pół i wirować ku ziemi. Helikopter trafił w budynek apartamentowca w Pompano Beach. Szczegóły nie zostały natychmiast ujawnione – biuro szeryfa Broward podało informację o rozbiciu się jednego z helikopterów krótko przed godziną 9 rano, bez nazwisk rannych. Krajowa Rada Bezpieczeństwa Transportu i Federalna Administracja Lotnictwa zapowiedziały dochodzenie w sprawie przyczyn wypadku.

Ponad dobę dryfował na Atlantyku. "Modlił się najwięcej w życiu"
7 sierpnia 2023, 07:37

Ponad dobę dryfował na Atlantyku. "Modlił się najwięcej w życiu"

Młody mężczyzna został uratowany 20 kilometrów od wybrzeży Florydy po tym, jak spędził wiele godzin na maleńkiej, niemal zupełnie zanurzonej w wodzie łódeczce z płaskim dnem. Żeglarz wcześniej zgubił kamizelkę i telefon komórkowy, więc dryfował, zdając się na los.

78-letni mężczyzna z Florydy zastrzelił żonę. Jej ciało poćwiartował i wrzucił do oceanu
4 sierpnia 2023, 11:46

78-letni mężczyzna z Florydy zastrzelił żonę. Jej ciało poćwiartował i wrzucił do oceanu

Mężczyzna z Florydy został aresztowany za zabójstwo swojej żony. Zastrzelił kobietę, poćwiartował jej ciało piłą mechaniczną i schował w pięciu torbach, które następnie wrzucił do oceanu. Byli małżeństwem od ponad 15 lat.

d4jxdon
Przerażenie na Florydzie. Coraz więcej przypadków zachorowań
2 sierpnia 2023, 12:17

Przerażenie na Florydzie. Coraz więcej przypadków zachorowań

Ameryka wraca do przeszłości. Służby medyczne odnotowują wzrost niepokojących statystyk. Do lekarzy zgłasza się w ostatnich latach coraz więcej pacjentów, dla których diagnoza jest szokująca - trąd. Jeszcze bardziej zatrważająca jest sugestia lekarzy, kto może odpowiadać za te rekordowe zachorowania w egzotycznej krainie pełnej plaż i bajecznej przyrody.

Potężny paraliż pogodowy. Pasażerowie statku nie wierzyli własnym oczom
26 czerwca 2023, 13:56

Potężny paraliż pogodowy. Pasażerowie statku nie wierzyli własnym oczom

Do dramatycznych scen doszło na pokładzie statku wycieczkowego firmy Royal Caribbean u wybrzeży Florydy. Kiedy statek stał zacumowany w porcie Canaveral, doszło do nagłego załamania się pogody. W ciągu kilkudziesięciu sekund pojawiła się potężna burza. Do sieci trafiło nagranie jednego z uczestników tego rejsu. Widać na nim, jak leżaki i inne przedmioty latają w powietrzu, a jeden z foteli prawie spadł na matkę z dziećmi, która uciekała z pokładu, aby się schronić przed szalejącym żywiołem. Na filmie widać ponadto jak ludzie na kolanach próbują dostać się w bezpieczne miejsce, co więcej, część z nich upada na skutek silnego podmuchu wiatru. Jak przekazała telewizja CNN, "nikt z pasażerów nie odniósł poważniejszych obrażeń". Co ciekawe, sprawa jednak nie zostanie zamieciona pod dywan. Każdy z uczestników rejsu, który ucierpiał w tym zdarzeniu otrzymał prawo do złożenia specjalnego wniosku o odszkodowanie.

Jachtem i samolotem. Multimilioner chciał uciec z więzienia
24 maja 2023, 13:21

Jachtem i samolotem. Multimilioner chciał uciec z więzienia

Misterny plan multimilionera spalił na panewce. Aresztowany za dziecięcą pornografię 78-latek próbował uciec z celi na Florydzie i wrócić do Francji. Specjalnie po to kupił jacht, samolot i furgonetki, ale nic z tego nie wyszło.

Aligator ukarał klienta baru. Przerażenie na Florydzie
23 maja 2023, 13:16

Aligator ukarał klienta baru. Przerażenie na Florydzie

Klient baru na Florydzie stracił rękę po tym, jak został zaatakowany przez aligatora. 23-latek chciał skorzystać z łazienki, ale nie zamierzał czekać w kolejce. Za potrzebą udał się więc nad staw.

Polski chirurg oskarżony o morderstwo. Prokuratura chce kary śmierci
2 maja 2023, 09:46

Polski chirurg oskarżony o morderstwo. Prokuratura chce kary śmierci

Prokuratorzy z Florydy złożyli w piątek zawiadomienie o ubieganiu się o karę śmierci dla polskiego chirurga plastycznego. 44-letni Tomasz Roman Kosowski miał zamordować prawnika Stevena Cozziego.

d4jxdon
Tornado w USA. Do sieci trafiło wstrząsające nagranie
30 kwietnia 2023, 08:49

Tornado w USA. Do sieci trafiło wstrząsające nagranie

Szalejące tornado przewracało samochody, wyrywało drzewa i niszczyło budynki w okolicach Palm Beach Gardens na południowej Florydzie. Nagranie pokazujące żywioł zamieściła w mediach społecznościowych prezenterka pogody z lokalnej stacji telewizyjnej.

Zmarł pasażer wycieczkowca. Ciało włożyli do lodówki z napojami
24 kwietnia 2023, 10:39

Zmarł pasażer wycieczkowca. Ciało włożyli do lodówki z napojami

Wdowa z Florydy wraz ze swoją rodziną pozywa firmę organizującą rejsy wycieczkowe za rzekome niewłaściwe obchodzenie się ze zwłokami jej męża, który zmarł na pokładzie statku. Pracownicy liniowca mieli przechowywać ciało mężczyzny w lodówce do napojów zamiast w kostnicy.

87-letni ocalały z Holokaustu oszukany na portalu randkowym. Stracił 2,8 miliona dolarów
17 kwietnia 2023, 11:51

87-letni ocalały z Holokaustu oszukany na portalu randkowym. Stracił 2,8 miliona dolarów

87-letni mężczyzna w 2017 roku poznał przez Internet 36-letnią kobietę, która latami przekonywała go do przelewanie jej pieniędzy. Dzięki nim mogła spełniać swoje ekstrawaganckie zachcianki, podczas gdy ofiara popadała w ubóstwo i ostatecznie straciła mieszkanie.

Nie do wiary, co zrobił z pizzą. 39-latek za kratami
23 marca 2023, 11:15

Nie do wiary, co zrobił z pizzą. 39-latek za kratami

Niecodzienne aresztowanie na Florydzie. Kobieta zgłosiła na policję pobicie za pomocą pizzy. 39-latek miał uderzyć kobietę kawałkiem pizzy w twarz w następstwie kłótni. Przybyli na miejsce funkcjonariusze potwierdzili kawałki włoskiego przysmaku na twarzy, włosach i uchu kobiety. Mężczyzna został zatrzymany.

Zabił ją i spalił. Wstrząsający koniec miłości
16 marca 2023, 09:49

Zabił ją i spalił. Wstrząsający koniec miłości

Zabił swoją dziewczynę i ukrył jej ciało w lesie niedaleko Palm Bay na Florydzie. Po kilku dniach postanowił pozbyć się obciążających go dowodów. Wrócił na miejsce zbrodni, spalił jej ciało, a szczątki zakopał w kilku miejscach.

d4jxdon
d4jxdon
Więcej tematów

Pobieranie, zwielokrotnianie, przechowywanie lub jakiekolwiek inne wykorzystywanie treści dostępnych w niniejszym serwisie - bez względu na ich charakter i sposób wyrażenia (w szczególności lecz nie wyłącznie: słowne, słowno-muzyczne, muzyczne, audiowizualne, audialne, tekstowe, graficzne i zawarte w nich dane i informacje, bazy danych i zawarte w nich dane) oraz formę (np. literackie, publicystyczne, naukowe, kartograficzne, programy komputerowe, plastyczne, fotograficzne) wymaga uprzedniej i jednoznacznej zgody Wirtualna Polska Media Spółka Akcyjna z siedzibą w Warszawie, będącej właścicielem niniejszego serwisu, bez względu na sposób ich eksploracji i wykorzystaną metodę (manualną lub zautomatyzowaną technikę, w tym z użyciem programów uczenia maszynowego lub sztucznej inteligencji). Powyższe zastrzeżenie nie dotyczy wykorzystywania jedynie w celu ułatwienia ich wyszukiwania przez wyszukiwarki internetowe oraz korzystania w ramach stosunków umownych lub dozwolonego użytku określonego przez właściwe przepisy prawa.Szczegółowa treść dotycząca niniejszego zastrzeżenia znajduje siętutaj