Działo się w nocy. Huragan Helene naciera. "Musicie to zrobić natychmiast"

Wydarzyło się, gdy spałeś. Oto, co odnotowały światowe agencje w nocy z czwartku na piątek.

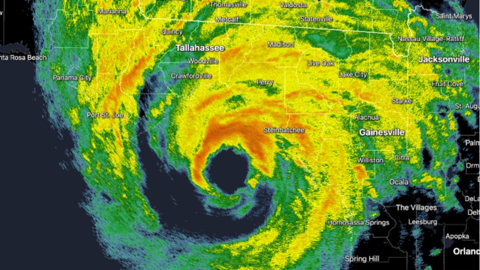
Huragan HeleneHuragan Helene
Źródło zdjęć: © x.com
Mateusz Czmiel
  • Na kilka godzin przed przewidywanym uderzeniem w północno-zachodnie wybrzeże Florydy w czwartek wieczorem czasu lokalnego huragan Helene przybrał na sile, osiągając kategorię 4 w pięciostopniowej skali Saffira-Simpsona. Meteorolodzy ostrzegli, że żywioł może stworzyć "koszmarne" fale sztormowe. W rejonach nadbrzeżnych Helene może przynieść także niebezpieczne wichury przekraczające prędkość 210 km/h i deszcze w dużej części południowo-wschodnich Stanów Zjednoczonych. Żywioł może niszczyć domy, łamać drzewa i przewracać linie energetyczne. - Macie jeszcze czas na to, żeby udać się do schronów. Musicie to jednak zrobić natychmiast - ostrzegł gubernator Florydy Ron DeSantis.
  • Władze Peru ogłosiły w czwartek stan wyjątkowy w części aglomeracji Limy i zapowiedziały wysłanie wojska na ulice, by pomogło zapanować nad przestępczością. W mieście trwa strajk kierowców autobusów, którzy domagają się działań przeciwko gangom wymuszającym haracze. Stan wyjątkowy wprowadzono na 60 dni w 11 dystryktach stołecznej prowincji metropolitarnej oraz w jednym dystrykcie sąsiedniej prowincji Callao. Minister obrony Walter Astudillo potwierdził, że wojsko pomoże policji w walce z przestępczością. Rząd zapowiedział, że stan wyjątkowy może zostać rozszerzony na inne obszary, jeśli będzie tego wymagała sytuacja.

Udzielił związkowych porad. "Do dziewczyny trzeba być podrychtowanym"

  • Nowy chiński okręt podwodny o napędzie atomowym zatonął w tym roku - poinformował w czwartek "Wall Street Journal", powołując się na urzędnika Departamentu Obrony USA. Może to być potencjalnym kłopotem dla Pekinu, który stara się zwiększyć swoje zdolności militarne - ocenia "WSJ". Chiny, które już mają największą marynarkę wojenną na świecie z ponad 370 okrętami, rozpoczęły produkcję nowej generacji okrętów podwodnych o napędzie atomowym - podkreśla Reuters. Pragnący zachować anonimowości urzędnik Pentagonu wyjaśnił, że pierwszy tego typu chiński okręt podwodny zatonął między majem a czerwcem. Nie jest jasne, co spowodowało zatonięcie, ani też, czy miał wówczas na pokładzie paliwo jądrowe.
  • Premier Wielkiej Brytanii Keir Starmer w przemówieniu wygłoszonym w czwartek na sesji Zgromadzenia Ogólnego ONZ powiedział, że jego kraj wraca do pełnienia bardziej aktywnej i konstruktywnej roli na świecie. Podkreślił też, że eskalacja konfliktu na Bliskim Wschodzie nie jest w niczyim interesie. - Mój rząd został wybrany, aby zmienić Wielką Brytanię, aby realizować krajowe misje dotyczące wyższego wzrostu gospodarczego, bezpieczniejszych ulic, czystszej energii, większych możliwości i zdrowszego społeczeństwa. Ale (...) zdajemy sobie sprawę, że nasz sukces w Wielkiej Brytanii nigdy nie może być oddzielony od wydarzeń poza naszymi brzegami. Globalne wyzwania odbijają się na nas w kraju, a zmaganie się ze skutkami wojny, ubóstwa, zmian klimatycznych, pandemii lub nieuregulowanej migracji, dopiero gdy docierają one do naszych drzwi, oznacza narażanie się na porażkę. Musimy współpracować z innymi, aby rozwiązać te problemy u podstaw i zająć się ich przyczynami - mówił Starmer.
  • Odsetek ubóstwa w Argentynie wzrósł z prawie 42 do prawie 53 proc. w pierwszych sześciu miesiącach gospodarczej terapii szokowej, wprowadzanej w życie przez prezydenta Javiera Mileia – wynika z ogłoszonych w czwartek danych państwowego urzędu statystycznego INDEC. Oznacza to, że pod koniec pierwszej połowy 2024 roku prawie 25 mln Argentyńczyków żyło poniżej granicy ubóstwa, a 3,4 mln osób przekroczyły go w tym roku. To najgorsze wyniki od 20 lat.
  • W pierwszej połowie tego roku bankructwo w związku z uzależnieniem od internetowych zakładów bukmacherskich ogłosiło w Brazylii 1,3 mln osób - podał w czwartek dziennik "Folha de S. Paulo", wskazując na nienotowane wcześniej zjawisko. Gazeta odnotowała, że obowiązujące od 2018 r. przepisy legalizujące zakłady bukmacherskie online mogą zostać niebawem zmienione z powodu szybko rosnącej liczby uzależnionych od tej formy hazardu. Cytowane przez dziennik badanie Narodowej Konfederacji Handlu (CNC) dowodzi, że od stycznia do czerwca 2024 r. zakłady bukmacherskie online uczyniły niewypłacalnymi 1,3 mln obywateli Brazylii.
Wybrane dla Ciebie
Kolejny atak na łódź przemytników na Pacyfiku. Zginęły cztery osoby
Kolejny atak na łódź przemytników na Pacyfiku. Zginęły cztery osoby
"Dobrowolnie będą przepraszać". Kadyrow odgraża się Europie
"Dobrowolnie będą przepraszać". Kadyrow odgraża się Europie
J.D. Vance ostrzega KE. Chodzi o platformę Muska
J.D. Vance ostrzega KE. Chodzi o platformę Muska
Chcą przekazać 8 mld funtów Ukrainie. Z zamrożonych rosyjskich aktywów
Chcą przekazać 8 mld funtów Ukrainie. Z zamrożonych rosyjskich aktywów
Alert RCB. Skażona woda w kilku miejscowościach na Mazowszu
Alert RCB. Skażona woda w kilku miejscowościach na Mazowszu
Bomby w Waszyngtonie. FBI zatrzymało podejrzanego
Bomby w Waszyngtonie. FBI zatrzymało podejrzanego
Aleksander Kwaśniewski ostro o decyzji prezydenta: Poważne nadużycie
Aleksander Kwaśniewski ostro o decyzji prezydenta: Poważne nadużycie
"Zabić ich wszystkich"? Admirał Bradley tłumaczy się przed Kongresem
"Zabić ich wszystkich"? Admirał Bradley tłumaczy się przed Kongresem
Ataki na tankowce. Turcja wzywa przedstawicieli Rosji i Ukrainy
Ataki na tankowce. Turcja wzywa przedstawicieli Rosji i Ukrainy
Jakub Nowakowski skończył 101 lat. Odwiedził go prezydent
Jakub Nowakowski skończył 101 lat. Odwiedził go prezydent
Wyniki Lotto 04.12.2025 – losowania Lotto, Lotto Plus, Multi Multi, Ekstra Pensja, Kaskada, Mini Lotto
Wyniki Lotto 04.12.2025 – losowania Lotto, Lotto Plus, Multi Multi, Ekstra Pensja, Kaskada, Mini Lotto
Postrzelili mężczyznę w trakcie interwencji. Decyzja ws. policjantów
Postrzelili mężczyznę w trakcie interwencji. Decyzja ws. policjantów