Trwa ładowanie...
d1ggiq7
Temat

huragan

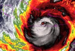
Wieje 260 km/h. Huragan Humberto osiąga kategorię 5. Zagrożenie dla Karaibów
28 września 2025, 08:08

Wieje 260 km/h. Huragan Humberto osiąga kategorię 5. Zagrożenie dla Karaibów

Huragan Humberto, według Amerykańskiego Narodowego Centrum Huraganów, osiągnął najwyższą kategorię piątą. Prędkość wiatru sięga 260 km/h, a prognozy wskazują na dalszy wzrost. Zbliża się do Karaibów, stwarzając poważne zagrożenie.

Czekają na nadejście Mario. Możliwe powodzie błyskawiczne
13 września 2025, 10:41

Czekają na nadejście Mario. Możliwe powodzie błyskawiczne

Burza tropikalna Mario, ósma w tym sezonie na Pacyfiku, może wywołać powodzie błyskawiczne w Meksyku. Zagraża stanom Guerrero i Michoacan, przynosząc intensywne opady i silne wiatry.

Huragan Erin zagraża Karolinie Północnej. Ewakuacje i ostrzeżenia
20 sierpnia 2025, 12:09

Huragan Erin zagraża Karolinie Północnej. Ewakuacje i ostrzeżenia

Huragan Erin, choć osłabł do drugiej kategorii, wciąż stanowi zagrożenie dla wschodniego wybrzeża USA. Najbardziej narażona jest Karolina Północna, gdzie władze zarządziły ewakuacje.

Pędzi 220 km/h. Pierwszy huragan w 2025 roku
17 sierpnia 2025, 16:34

Pędzi 220 km/h. Pierwszy huragan w 2025 roku

Huragan Erin, pierwszy w sezonie 2025, osiągnął prędkość wiatru 220 km/h. Meteorolodzy ostrzegają przed intensywnymi opadami i silnym wiatrem.

Huragan w USA. Zerwany dach więzienia, ewakuowano 400 osadzonych
12 sierpnia 2025, 09:36

Huragan w USA. Zerwany dach więzienia, ewakuowano 400 osadzonych

Burza w amerykańskim stanie Nebraska zniszczyła budynek więzienia. Konieczna była ewakuacja 400 osadzonych. Amerykańska Narodowa Służba Meteorologiczna ostrzegała wcześniej przed silnym wiatrem, który mógł przekraczać 120 km/h.

d1ggiq7
Znikające sardele, potężne powodzie i rekordowe huragany. Za to wszystko odpowiada... rozgrzane morze
13 lipca 2025, 13:42

Znikające sardele, potężne powodzie i rekordowe huragany. Za to wszystko odpowiada... rozgrzane morze

Morskie fale upałów tylko w ostatnich dwóch latach doprowadziły do niemal rekordowej liczby huraganów na Atlantyku, powodzi w Australii, a nawet najcieplejszego lata w historii Japonii. Straty dla gospodarek i środowiska są ogromne.

Cyklon Eowyn sieje spustoszenie w Europie. Piszą o sztormie stulecia
24 stycznia 2025, 10:55

Cyklon Eowyn sieje spustoszenie w Europie. Piszą o sztormie stulecia

Cyklon Eowyn dotarł do Europy, paraliżując Irlandię i Szkocję. Władze ostrzegają przed "ekstremalnym zagrożeniem dla życia". Służby meteorologiczne wydały czerwone alerty. Brytyjski dziennik "The Sun" pisze o "sztormie stulecia".

Koniec sezonu huraganowego. Pierwszy tak śmiercionośny od lat
29 listopada 2024, 20:27

Koniec sezonu huraganowego. Pierwszy tak śmiercionośny od lat

Sezon huraganowy 2024 na Atlantyku był jednym z najbardziej niszczycielskich od dwóch dekad. Odnotowano 18 burz, z których 11 przekształciło się w huragany, a pięć osiągnęło najwyższą kategorię.

Fala protestów na Kubie. Wystarczy garnek i łyżka
10 listopada 2024, 04:14

Fala protestów na Kubie. Wystarczy garnek i łyżka

Huragan Rafael spowodował znaczne zniszczenia i tak już nie w pełni sprawnej sieci energetycznej na Kubie. Doprowadziło to do trwających od piątku przerw w dostawach prądu na wyspie, a także do pokojowych protestów zdesperowanych brakami prądu, wody i żywności ludzi. Rosja obiecuje wysłanie pomocy humanitarnej.

Działo się w nocy. Ogromne zniszczenia na Kubie po przejściu huraganu Rafael
9 listopada 2024, 05:17

Działo się w nocy. Ogromne zniszczenia na Kubie po przejściu huraganu Rafael

Wydarzyło się, gdy spałeś. Oto, co odnotowały światowe agencje w nocy z piątku na sobotę

d1ggiq7
Działo się w nocy. Całkowity blackout na Kubie
7 listopada 2024, 05:59

Działo się w nocy. Całkowity blackout na Kubie

Wydarzyło się, gdy spałeś. Oto, co odnotowały światowe agencje w nocy ze środy na czwartek.

Huragan Kristy na Pacyfiku. Są nowe informacje
25 października 2024, 12:43

Huragan Kristy na Pacyfiku. Są nowe informacje

Przetaczający się przez zachodni Pacyfik huragan Kristy wzmocnił się w czwartek do najwyższej, piątej kategorii. Prawdopodobnie nie uderzy on w ląd. Jego siła słabnie. To pierwsza od ponad dekady tak silna burza w tym rejonie świata, która powstała bez udziału El Niño.

Działo się w nocy. Katastrofa myśliwca w USA. Dwóch pilotów nie żyje
21 października 2024, 06:11

Działo się w nocy. Katastrofa myśliwca w USA. Dwóch pilotów nie żyje

Wydarzyło się, gdy spałeś. Oto, co odnotowały światowe agencje w nocy z niedzieli na poniedziałek.

Ashley coraz bliżej Europy. Żywioł uderzy w niedzielę
19 października 2024, 20:43

Ashley coraz bliżej Europy. Żywioł uderzy w niedzielę

Cyklon Ashley jest coraz bliżej kontynentu. To będzie pierwszy taki sztorm w tym sezonie w Europie. Do Wysp Brytyjskich ma dotrzeć w niedzielę. Miejscami porywy wiatru mogą osiągnąć 140 km/h.

Koszmarne widoki po huraganie Milton. Spustoszył Florydę
11 października 2024, 10:56

Koszmarne widoki po huraganie Milton. Spustoszył Florydę

Huragan Milton zostawił po sobie wiele zniszczeń na Florydzie. Żywioł uderzył w wybrzeże w czwartek. Agencja AP udostępniła najnowsze nagrania z najbardziej dotkniętych miejsc w regionie. Możemy zauważyć rozerwany dach stadionu Tropicana Field w St. Petersburgu, który został uszkodzony przez silne wiatry, a ulice Tampy zostały zalane, powodując paraliż i trudności w poruszaniu się. W wielu częściach hrabstwa Pinellas ponad 60 proc. mieszkańców zostało pozbawionych prądu i wody pitnej. W mieście trwa akcja usuwania powalonych drzew i naprawy infrastruktury. Widać to po ujęciach z obrzeży Fort Pierce, gdzie na ulicach leżą konary drzew, a większość domów nie ma okien po przejściu huraganu. Władze Florydy i służby ratunkowe wciąż oceniają rozmiary zniszczeń, a mieszkańcy są proszeni o zgłaszanie uszkodzeń za pośrednictwem specjalnych formularzy, które pomogą w koordynacji działań naprawczych. Ze wstępnych ustaleń policji wynika, że Milton zabił w USA 14 osób, ale ofiar może być więcej. Służby uratowały już setki osób, jednak skala zniszczeń jest ogromna, szczególnie w rejonach przybrzeżnych, gdzie wiele budynków zostało zrujnowanych przez wiatr i wielkie fale.

d1ggiq7
Działo się w nocy. Pół tony kokainy. Polacy nie zostali zatrzymani
11 października 2024, 06:28

Działo się w nocy. Pół tony kokainy. Polacy nie zostali zatrzymani

Wydarzyło się, gdy spałeś. Oto, co odnotowały światowe agencje w nocy z czwartku na piątek.

Zyskał ogromną popularność w internecie. Sprawdzili, czy przetrwał huragan
10 października 2024, 14:34

Zyskał ogromną popularność w internecie. Sprawdzili, czy przetrwał huragan

Huragan Milton przetacza się przez Florydę. Pojawiają się dramatyczne informacje o ofiarach śmiertelnych. Wiadomo także, co się stało z mężczyzną, który zdecydował się przeczekać żywioł na jachcie.

Mrożące krew nagrania z USA. Huragan Milton uderzył
10 października 2024, 10:33

Mrożące krew nagrania z USA. Huragan Milton uderzył

Huragan Milton sparaliżował zachodnie wybrzeże na Florydzie w USA. Agencja AP udostępniła nagrania mieszkańców z momentu uderzenia żywiołu. Widać na nich potężne tornada, które pojawiły się m.in. w miejscowościach Ochopee czy Loxahatchee. Część ludzi akurat uciekało ulicami Ochopee, gdy za ich plecami szalało silne tornado. Mrożące krew w żyłach obrazki z Florydy obiegły świat i ukazują siłę żywiołu, który uderzył w czwartek zachodnie wybrzeże na Florydzie. Kamera miejskiego monitoringu uwieczniła w Tampie, jak mocny wiał wiatr nocą w czwartek, co widać po sygnalizatorach świetlnych, które ledwo trzymały się w miejscu. Według AP, Milton najpierw uderzył w okolicach Siesta Key jako huragan kategorii 3, przynosząc wiatr o prędkości do 200 km/h. Ulewne deszcze doprowadziły do powodzi i zniszczeń wzdłuż wybrzeża Zatoki Meksykańskiej. W pewnym momencie na nagraniu widać, jak zachowywał się Ocean Atlancki podczas przejścia huraganu. Regiony takie jak Tampa, Sarasota, St. Petersburg i Fort Myers już odczuwają skutki żywiołu. Chociaż Milton osłabł do kategorii 1 po wejściu na ląd, nadal niesie ze sobą silne wiatry, powodzie i zagrożenie tornadami w nadchodzących dniach. Urzędnicy wzywali mieszkańców, którzy nie zdecydowali się na ewakuację, by pozostali w domach, gdyż ratownicy będą mieli ograniczoną możliwość działania podczas najgorszej fazy burzy​.

Potężne uderzenie. Koszmarne skutki huraganu i kolejne alerty
10 października 2024, 09:35

Potężne uderzenie. Koszmarne skutki huraganu i kolejne alerty

Huragan Milton przetacza się przez Florydę. Prawie 2,8 miliona odbiorców nie ma prądu. Na zdjęciach widać skalę zniszczeń. Huragan wywołał na Florydzie wiele mniejszych tornad.

Milton "zassał" wodę. "Zniknęła bardzo szybko"
10 października 2024, 08:12

Milton "zassał" wodę. "Zniknęła bardzo szybko"

Huragan Milton, który dotarł do zachodnich wybrzeży Florydy, osłabł. Ma obecnie pierwszą kategorię. W sieci pojawiło się nagranie z zatoki Tampa. Widać na nim, jak Milton błyskawicznie zassał wodę. - Woda zniknęła - słyszymy na nagraniu.

d1ggiq7
Działo się w nocy. Stał w oku huraganu, nagle coś nadleciało
10 października 2024, 06:22

Działo się w nocy. Stał w oku huraganu, nagle coś nadleciało

Wydarzyło się, gdy spałeś. Oto, co odnotowały światowe agencje w nocy ze środy na czwartek.

Huragan Milton atakuje Florydę. Trudno uwierzyć, co zrobił sympatyk Trumpa
10 października 2024, 03:04

Huragan Milton atakuje Florydę. Trudno uwierzyć, co zrobił sympatyk Trumpa

Huragan Milton dotarł już do lądu na Florydzie. "Nadszedł czas, żeby się schronić" - ostrzegł gubernator stanu. Tymczasem wśród mieszkańców wciąż nie brakuje bardzo ryzykownych zachowań. Jeden z sympatyków Donalda Trumpa wywiesił flagę z jego nazwiskiem na molo w Naples, w samym środku sztormu.

Niszczycielski huragan w USA zaatakował. Są pierwsze nagrania
10 października 2024, 00:01

Niszczycielski huragan w USA zaatakował. Są pierwsze nagrania

Huragan Milton już pokazał swoją niszczycielską siłę. Z Florydy napłynęły pierwsze nagrania tornad wywoływanych przez huragan. Pada ulewny deszcz i silnie wieje.

Makabryczne ostrzeżenia policji na Florydzie: "Napiszcie nazwiska na swoich ciałach"
9 października 2024, 21:44

Makabryczne ostrzeżenia policji na Florydzie: "Napiszcie nazwiska na swoich ciałach"

Mieszkańcy Florydy, którzy nie chcieli lub nie mogli uciec przed zbliżającym się huraganem Milton, słyszą z megafonów zamontowanych na policyjnych radiowozach mrożące krew w żyłach komunikaty. Funkcjonariusze apelują o "oznakowanie" ciał za pomocą trwałych markerów.

Meteorolog ze łzami mówił o prognozie w USA. Zacznie się w nocy
9 października 2024, 18:30

Meteorolog ze łzami mówił o prognozie w USA. Zacznie się w nocy

Huragan Milton ma uderzyć we Florydę w nocy ze środy na czwartek lokalnego czasu. Trwa ewakuacja mieszkańców z zagrożonych terenów na południowo-wschodnim wybrzeżu Stanów Zjednoczonych.

d1ggiq7
d1ggiq7
Więcej tematów

Pobieranie, zwielokrotnianie, przechowywanie lub jakiekolwiek inne wykorzystywanie treści dostępnych w niniejszym serwisie - bez względu na ich charakter i sposób wyrażenia (w szczególności lecz nie wyłącznie: słowne, słowno-muzyczne, muzyczne, audiowizualne, audialne, tekstowe, graficzne i zawarte w nich dane i informacje, bazy danych i zawarte w nich dane) oraz formę (np. literackie, publicystyczne, naukowe, kartograficzne, programy komputerowe, plastyczne, fotograficzne) wymaga uprzedniej i jednoznacznej zgody Wirtualna Polska Media Spółka Akcyjna z siedzibą w Warszawie, będącej właścicielem niniejszego serwisu, bez względu na sposób ich eksploracji i wykorzystaną metodę (manualną lub zautomatyzowaną technikę, w tym z użyciem programów uczenia maszynowego lub sztucznej inteligencji). Powyższe zastrzeżenie nie dotyczy wykorzystywania jedynie w celu ułatwienia ich wyszukiwania przez wyszukiwarki internetowe oraz korzystania w ramach stosunków umownych lub dozwolonego użytku określonego przez właściwe przepisy prawa.Szczegółowa treść dotycząca niniejszego zastrzeżenia znajduje siętutaj