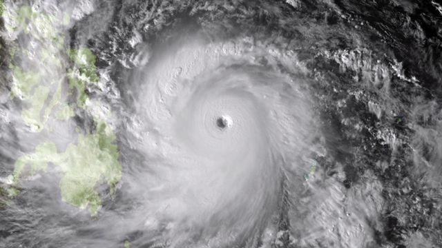
Haiyan - najsilniejszy tajfun w historii

Wiatr w centrum zjawiska osiąga 250 km/h

Obraz

/ 9To najpotężniejszy tajfun w dziejach meteorologii

Obraz
© PAP/EPA

Tajfun Haiyan, który uderzył minionej nocy w Filipiny, okazał się najpotężniejszym cyklonem na lądzie w całej historii pomiarów meteorologicznych. Podczas wejścia na ląd tzw. oka - centralnej części tajfunu w rejonie miasta Guiuan na wyspie Samar, Haiyan miał maksymalną, piątą kategorię w skali siły tego typu zjawisk.

Co najmniej trzy osoby zginęły, a szkody materialne są określane jako "potencjalnie katastrofalne".

Według prowizorycznego bilansu dwie osoby zostały porażone przez prąd, a kolejna zginęła na skutek uderzenia piorunu.

Prędkość wiatru przekracza w porywach 315 kilometrów na godzinę - podały krajowe służby meteorologiczne.

(evak/WP.PL/PAP)

Zobacz więcej w serwisie pogoda.

/ 9Ewakuowano niemal 720 tys. ludzi

Obraz
© <img src="http://i.wp.pl/a/i/wiadomosci_04/logo_AP.jpg" alt="AP" onclick='javascript:window.open("http://i.wp.pl/a/f/html/9560/ap_popup.html","ap","left=100,top=100,width=500,height=400")' style="cursor:pointer;border-style:none;vertical-align:bottom;display:inline" />

Tajfun uderzył w wybrzeże dwóch wysp: Samar i Leyte, w rejonie odległym o ok. 600 kilometrów od stolicy kraju - Manili. Niemal 720 tys. ludzi ewakuowano z miejscowości znajdujących się na trasie przejścia tajfunu - poinformowały służby odpowiedzialne za zarządzanie kryzysowe.

Masz ciekawe fotografie?* Wyślij nam zdjęcia!*

Byłeś świadkiem lub uczestnikiem ważnego zdarzenia? Poinformuj Internautów o tym, co dzieje się w Polsce, na świecie, w Twojej okolicy! Czekamy na Twoje zgłoszenie!

Zobacz więcej w serwisie pogoda.

/ 9Koczują w namiotach

Obraz
© PAP/EPA

Wśród ewakuowanych są tysiące mieszkańców wyspy Bohol, którzy od trzęsienia ziemi o sile 7,2 w ubiegłym miesiącu koczują w namiotach w tymczasowych obozowiskach.

Masz ciekawe fotografie?* Wyślij nam zdjęcia!*

Byłeś świadkiem lub uczestnikiem ważnego zdarzenia? Poinformuj Internautów o tym, co dzieje się w Polsce, na świecie, w Twojej okolicy! Czekamy na Twoje zgłoszenie!

Zobacz więcej w serwisie pogoda.

/ 9Stan pogotowia

Obraz
© AFP

W środkowych Filipinach wstrzymano transport morski i powietrzny, zamknięto szkoły, urzędy i sklepy. Szpitale, a także żołnierzy i służby ratownicze postawiono w stan pogotowia. W wielu miejscach nie ma łączności telefonicznej.

Masz ciekawe fotografie?* Wyślij nam zdjęcia!*

Byłeś świadkiem lub uczestnikiem ważnego zdarzenia? Poinformuj Internautów o tym, co dzieje się w Polsce, na świecie, w Twojej okolicy! Czekamy na Twoje zgłoszenie!

Zobacz więcej w serwisie pogoda.

/ 9Zamknięto szkoły

Obraz
© AFP

Wiele szkół jest zamkniętych także w Manili, która nie znajduje się bezpośrednio na trasie tajfunu, ale może odczuć jego skutki.

Masz ciekawe fotografie?* Wyślij nam zdjęcia!*

Byłeś świadkiem lub uczestnikiem ważnego zdarzenia? Poinformuj Internautów o tym, co dzieje się w Polsce, na świecie, w Twojej okolicy! Czekamy na Twoje zgłoszenie!

Zobacz więcej w serwisie pogoda.

/ 9Odwołane loty

Obraz
© AFP

Linie lotnicze Philippine Airlines, Cebu Pacific i inne poinformowały o zawieszeniu setek lotów, głównie krajowych.

Masz ciekawe fotografie?* Wyślij nam zdjęcia!*

Byłeś świadkiem lub uczestnikiem ważnego zdarzenia? Poinformuj Internautów o tym, co dzieje się w Polsce, na świecie, w Twojej okolicy! Czekamy na Twoje zgłoszenie!

Zobacz więcej w serwisie pogoda.

/ 924 tajfun w tym roku

Obraz
© <img src="http://i.wp.pl/a/i/wiadomosci_04/logo_AP.jpg" alt="AP" onclick='javascript:window.open("http://i.wp.pl/a/f/html/9560/ap_popup.html","ap","left=100,top=100,width=500,height=400")' style="cursor:pointer;border-style:none;vertical-align:bottom;display:inline" />

Haiyan jest 24. tajfunem, docierającym do Filipin w tym roku. Na jego przewidywanej trasie znajdują się m.in. wyspy Bohol i Cebu.

Masz ciekawe fotografie?* Wyślij nam zdjęcia!*

Byłeś świadkiem lub uczestnikiem ważnego zdarzenia? Poinformuj Internautów o tym, co dzieje się w Polsce, na świecie, w Twojej okolicy! Czekamy na Twoje zgłoszenie!

Zobacz więcej w serwisie pogoda.

/ 9Następne będą Wietnam i Laos

Obraz
© AFP

Po przejściu nad środkowymi Filipinami w piątek i w sobotę zapewne skieruje się na Morze Południowochińskie. W niedzielę ma przejść nad Wietnamem i Laosem.

Masz ciekawe fotografie?* Wyślij nam zdjęcia!*

Byłeś świadkiem lub uczestnikiem ważnego zdarzenia? Poinformuj Internautów o tym, co dzieje się w Polsce, na świecie, w Twojej okolicy! Czekamy na Twoje zgłoszenie!

Zobacz więcej w serwisie pogoda.

/ 916 mln ludzi zagrożonych

Obraz
© AFP

Na trasie tajfunu znalazło się prawie 16 milionów ludzi, w tym 12 mln na samych Filipinach.

(evak/WP.PL/PAP)

Masz ciekawe fotografie?* Wyślij nam zdjęcia!*

Byłeś świadkiem lub uczestnikiem ważnego zdarzenia? Poinformuj Internautów o tym, co dzieje się w Polsce, na świecie, w Twojej okolicy! Czekamy na Twoje zgłoszenie!

Zobacz więcej w serwisie pogoda.

Wybrane dla Ciebie
Putin gotowy na układ ws. Ukrainy? Chodorkowski nie ma wątpliwości
Putin gotowy na układ ws. Ukrainy? Chodorkowski nie ma wątpliwości
Poplecznik Putina odsunięty. Jest nowa prezydent Republiki Serbskiej
Poplecznik Putina odsunięty. Jest nowa prezydent Republiki Serbskiej
Nawrocki stawia rządowi warunek. "Musi to zostać wzięte pod uwagę"
Nawrocki stawia rządowi warunek. "Musi to zostać wzięte pod uwagę"
Izrael wznowi działania wojenne? Minister apeluje do Netanjahu
Izrael wznowi działania wojenne? Minister apeluje do Netanjahu
Napad rabunkowy w Luwrze. "Rozpoczęła się ewakuacja"
Napad rabunkowy w Luwrze. "Rozpoczęła się ewakuacja"
Hołownia ambasadorem w USA? "Bardzo zabiega o tę posadę"
Hołownia ambasadorem w USA? "Bardzo zabiega o tę posadę"
Brytyjskie media piszą o Polakach. Szykują się i zbroją na Rosję
Brytyjskie media piszą o Polakach. Szykują się i zbroją na Rosję
Mężczyzna ukrywał się przed rodziną. Wpadł podczas włamania
Mężczyzna ukrywał się przed rodziną. Wpadł podczas włamania
Kolejna rafineria w Rosji płonie. Ukraińcy zaatakowali w Samarze
Kolejna rafineria w Rosji płonie. Ukraińcy zaatakowali w Samarze
Luwr okradziony. Muzeum zamknięte dla zwiedzających
Luwr okradziony. Muzeum zamknięte dla zwiedzających
Zandberg wypunktował Biedronia. "To jest marny rząd"
Zandberg wypunktował Biedronia. "To jest marny rząd"
Tusk otrzymał pytanie o ucieczkę z Polski. Tak odpowiedział
Tusk otrzymał pytanie o ucieczkę z Polski. Tak odpowiedział