USA. Huragan Ida nad Luizjaną. "W tej chwili tracimy dachy"

Nad Stanami Zjednoczonymi grasuje huragan Ida. Według oficjalnych informacji, żywioł dotarł nad Luizjanę. Ponad 285 tys. osób pozostaje bez prądu. "Natychmiast schowajcie się w budynkach lub schronach" - zaleciła w komunikacie Narodowa Służba Pogodowa.

USA. Huragan Ida nadciąga. Media: Są już powodzenie przybrzeżne USA. Huragan Ida nad Luizjaną. "W tej chwili tracimy dachy"
Źródło zdjęć: © NOAA
Marek Mikołajczyk

Zgodnie z wcześniejszymi zapowiedziami synoptyków do Stanów Zjednoczonych trafił huragan Ida. Przez kilkanaście ostatnich godzin z terenów Nowego Orleanu i Luizjany ewakuowało się tysiące Amerykanów.

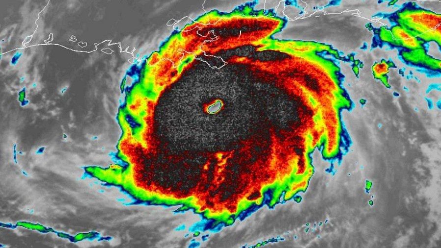
Huragan w kilkudziesięciu godzinach nabierał sporego rozpędu. W sobotę miał drugą, a obecnie czwartą kategorię w pięciostopniowej skali Saffira-Simpsona. Jak informują źrodła CNN, niewiele brakuje, aby Ida osiągnęła piątą, najwyższą kategorię. Jeśli tak by się stało, byłby to piąty taki przypadek na kontynencie.

Chwilę przed 19.00 czasu polskiego huragan dotarł do Port Fourchon w stanie Luizjana. "Ida utrzymuje kategorię czwartą z maksymalnie utrzymującym się wiatrem o prędkości 240 km/h" - poinformowało Narodowe Centrum Huraganu (NHC), jedna z państwowych agencji USA, określając burzę jako "skrajnie zagrażającą życiu".

"Traktujcie te skrajnie silne wiatry tak, jakby nadchodziło tornado, i natychmiast schowajcie się w budynku lub schroni" - zaapelowała w komunikacie Narodowa Służba Pogodowa.

Jak poinformował w niedzielę gubernator Luizjany John Bel Edwards, huragan Ida jest "jedną z najsilniejszych burz w historii całego stanu". Do ochrony i ratowania mieszkańców oddelegowano prawie 5 tys. gwardzistów.

Jak przekazali dziennikarze CNN, w niedzielę około 21 czasu polskiego łącznie ponad 285 tys. osób w Luizjanie pozostawało bez prądu. Niewykluczone, że przez kolejne godziny liczby te będą wzrastać.

W okolicach Nowego Orleanu przestały działać niektóre przepompownie ścieków. Komunikat w tej sprawie wydał miejski zarząd ds. ścieków i wody (SWBNO). "To zwiększa możliwość tworzenia zapchanych kanałów ściekowych w domach. Apelujemy do tych mieszkańców, którzy nadal mają moc, aby minimalizowali ilość ścieków, nie uruchamiając zmywarki ani pralki" - zaapelowali urzędnicy w wydanym komunikacie.

W mediach społecznościowych straż pożarna w Delacroix w stanie Luizjana opublikowała nagranie, na którym ukazano, jakie szkody wyrządził huragan w ciągu jednej godziny.

Żywioł widziany jest także z kosmosu. Zdjęciem francuskiego astronauty Thomasa Pesqueta z Międzynarodowej Stacji Kosmicznej podzieliła się w mediach społecznościowych NASA.

Huragan Ida. Po południu trafił do Zatoki Meksykańskiej

Po południu żywioł dotarł nad Grand Isle przy Zatoce Meksykańskiej. Według pierwszych relacji siła nieco osłabła. "Zalana jest tylko droga poza wyspą. Na miejscu jest 28 mieszkańców i 24 ratowników" - przekazała Jennifer Crockett, dziennikarka WDSU News.

Jednym z mieszkańców, który zdecydował się tam zostać, jest były policjant Joshua Legg. - W tej chwili tracimy dachy - relacjonował w rozmowie z CNN. W sieci umieścił nagranie ze zbliżającego się żywioły.

W okolicach Zatoki Meksykańskiej częściowo zalane zostały drogi. "Huragan Ida już powoduje powodzie przybrzeżne" - przekazał Chris Gloninger, synoptyk KCCI News, umieszczając nagranie z monitoringu w North Leeville.

Huragan Ida nad USA. Dokładnie 16 lat po Katrinie

Stany Zjednoczone zmagają się z żywiołem dokładnie 16 lat po śmiercionośnym huraganie Katrina. Wówczas w USA zginęło ponad 1800 osób, straty materialne sięgnęły ponad 125 mld dolarów.

- Konsekwencje huraganu kat. 4, gdy szpitale są pełne z powodu COVID-19, wykraczają poza to, co zwykle rozważamy. Rozmawialiśmy ze szpitalami, aby upewnić się, czy ich generatory działają, czy mają pod ręką znacznie więcej wody niż zwykle, czy mają pod ręką środki ochrony osobistej - mówił na konferencji prasowej John Bel Edwards, gubernator Luizjany.

Zobacz też: Kryzys migracyjny? Ekspert: jest to zapowiedź większej fali

Ewakuacja z zagrożonych terenów trwała od kilku dni. Joe Biden zatwierdził w piątek stan wyjątkowy dla stanu Luizjana. Ruch ten miał zapewnić pomoc federalną w walce z żywiołem.

- Prezydent będzie uważnie monitorował sytuację i będzie informowany o rozwoju wydarzeń w weekend - zapewniała w piątek Jen Psaki, rzeczniczka Białego Domu.

W niedzielę głos zabrał Joe Biden. Polityk zamieścił wpis na Twitterze, w którym prosi mieszkańców, by postępowali zgodnie z instrukcjami służb. "Gdy tylko huragan Ida minie, zrobimy wszystko, by pomóc wam w ratowaniu i odbudowywaniu" - podkreślił Biden.

Wybrane dla Ciebie
Platforma wycofuje produkt. Francuska instytucja była skuteczna
Platforma wycofuje produkt. Francuska instytucja była skuteczna
Flaga Wagnerowców na granicy. Estonia wyśmiała zdarzenie
Flaga Wagnerowców na granicy. Estonia wyśmiała zdarzenie
Ogromne protesty w Serbii. Prezydent zapowiedział spełnienie żądań
Ogromne protesty w Serbii. Prezydent zapowiedział spełnienie żądań
Obława policji w Smogorzewie. Na drodze leśnej padły strzały
Obława policji w Smogorzewie. Na drodze leśnej padły strzały
Inwazja na Tajwan? "Xi Jinping jest świadomy konsekwencji"
Inwazja na Tajwan? "Xi Jinping jest świadomy konsekwencji"
Wyniki Lotto 02.11.2025 – losowania Multi Multi, Ekstra Pensja, Kaskada, Mini Lotto
Wyniki Lotto 02.11.2025 – losowania Multi Multi, Ekstra Pensja, Kaskada, Mini Lotto
Inwestycja na cmentarzu. Akademia KGB na dawnej nekropolii
Inwestycja na cmentarzu. Akademia KGB na dawnej nekropolii
Minister rolnictwa reaguje na oświadczenie Telusa. "Jestem załamany"
Minister rolnictwa reaguje na oświadczenie Telusa. "Jestem załamany"
Wypadek podczas pościgu. Jest nowy komunikat policji
Wypadek podczas pościgu. Jest nowy komunikat policji
Dramatyczny finał poszukiwań. Ciała braci na dnie jeziora
Dramatyczny finał poszukiwań. Ciała braci na dnie jeziora
Działo się 2 listopada: groźby USA, atak hakerski i oświadczenie Telusa
Działo się 2 listopada: groźby USA, atak hakerski i oświadczenie Telusa
"Brednie u Rymanowskiego". Okładka gazety wywołała kontrowersje
"Brednie u Rymanowskiego". Okładka gazety wywołała kontrowersje