Trwa ładowanie...
dhvzv6i
Temat

cyklon

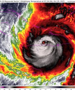
Potężne uderzenie w Karaiby. Jamajka zaapelowała o pomoc [RELACJA NA ŻYWO]
28 października 2025, 21:58

Potężne uderzenie w Karaiby. Jamajka zaapelowała o pomoc [RELACJA NA ŻYWO]

Około godziny 4:00 czasu lokalnego Melissa dotarła do Kuby. Na Jamajce dokonała rozległych zniszczeń domów, szpitali i szkół. Huragan, który w późnych godzinach nocnych osłabł, przechodząc z kategorii 5 do 3 w skali Saffira-Simpsona, przemieszczając się w kierunku Kuby znów zyskał na sile. Kolejne na trasie żywiołu są Bahamy, tam zarządzono ewakuację.

Pierwszy jesienny sztorm. Nad Atlantykiem formuje się monstrum
29 września 2025, 18:31

Pierwszy jesienny sztorm. Nad Atlantykiem formuje się monstrum

Nad północnym Atlantykiem formuje się potężny jesienny sztorm. Polska - jak podaje TVN Meteo - pozostanie jednak pod wpływem wyżów, które ochronią nas przed najgorszymi zjawiskami.

Burza Bualoi. 11 ofiar na Filipinach, żywioł zmierza do Wietnamu
27 września 2025, 09:31

Burza Bualoi. 11 ofiar na Filipinach, żywioł zmierza do Wietnamu

Burza tropikalna Bualoi, która uderzyła w Filipiny, spowodowała śmierć 11 osób. Cyklon z wiatrem o prędkości ponad 110 km/godz. zmusił do ewakuacji 400 tys. mieszkańców. Teraz kieruje się w stronę Wietnamu.

Japonia zmaga się z największą burzą od dekady. W kraju powodzie i paraliż komunikacyjny
16 lipca 2025, 14:34

Japonia zmaga się z największą burzą od dekady. W kraju powodzie i paraliż komunikacyjny

Intensywne opady deszczu w mieście Fuji w prefekturze Shizuoka spowodowały powodzie i paraliż komunikacyjny. Burza tropikalna Nari przyniosła niebezpieczne warunki pogodowe.

Cyklon Alfred sieje spustoszenie w Australii. Jedna ofiara i dziesiątki rannych
9 marca 2025, 18:35

Cyklon Alfred sieje spustoszenie w Australii. Jedna ofiara i dziesiątki rannych

Cyklon tropikalny Alfred przechodzi przez Australię. Żywioł zabił jedną osobę i ranił przynajmniej 36, w tym żołnierzy. Setki tysięcy domów pozostaje bez prądu.

dhvzv6i
Turyści uwięzieni na wyspie. Nadciąga cyklon
27 lutego 2025, 14:42

Turyści uwięzieni na wyspie. Nadciąga cyklon

Cyklon Garance zbliża się do Mauritiusa. Władze zostały zmuszone do zamknięcia jedynego lotniska na wyspie. Turyści nie mogą się wydostać.

Tragiczny wypadek w Irlandii. Ofiara cyklonu Eowyn to młody Polak
26 stycznia 2025, 17:19

Tragiczny wypadek w Irlandii. Ofiara cyklonu Eowyn to młody Polak

Irlandzka policja potwierdziła tożsamość młodego mężczyzny, który zginął w następstwie cyklonu Eowyn. To 20-letni Polak. Na samochód, którym wracał z pracy, spadło wyrwane przez wichurę drzewo.

Kataklizm na francuskiej wyspie. UE oferuje pomoc
16 grudnia 2024, 03:22

Kataklizm na francuskiej wyspie. UE oferuje pomoc

Ursula von der Leyen zadeklarowała pomoc UE dla Francji po cyklonie Chido, który zdewastował Majottę - francuskie terytorium zamorskie. Liczba ofiar śmiertelnych może tam sięgać kilku tysięcy osób.

Kataklizm uderzył we francuską wyspę. Ofiar mogą być tysiące
15 grudnia 2024, 20:25

Kataklizm uderzył we francuską wyspę. Ofiar mogą być tysiące

Cyklon Chido spustoszył francuski region Majotta, powodując setki ofiar. Prefektura ostrzega, że liczba zmarłych może sięgać nawet kilku tysięcy.

Cyklon Quiteria nadchodzi. Będzie niebezpiecznie
19 listopada 2024, 05:23

Cyklon Quiteria nadchodzi. Będzie niebezpiecznie

Dziś nad Polską przemieszcza się głęboki niż Quiteria, który przyniesie intensywne opady deszczu i śniegu oraz silne wiatry. Największe zagrożenie stanowić będą wichury, zwłaszcza w górach i nad morzem.

dhvzv6i
Nowe prognozy na listopad. Antycyklon naciera nad Polskę
2 listopada 2024, 16:37

Nowe prognozy na listopad. Antycyklon naciera nad Polskę

Co najmniej do połowy listopada nie zajdą istotne zmiany w pogodzie. Wszystko przez potężny antycyklon, który przyniesie stabilną pogodę. Często pojawiać się będą mgły, ale na opady nie ma co liczyć.

Ashley coraz bliżej Europy. Żywioł uderzy w niedzielę
19 października 2024, 20:43

Ashley coraz bliżej Europy. Żywioł uderzy w niedzielę

Cyklon Ashley jest coraz bliżej kontynentu. To będzie pierwszy taki sztorm w tym sezonie w Europie. Do Wysp Brytyjskich ma dotrzeć w niedzielę. Miejscami porywy wiatru mogą osiągnąć 140 km/h.

Cyklon Dorte nadchodzi. Pół Polski ze śniegiem, pół z wiosną
4 marca 2024, 12:10

Cyklon Dorte nadchodzi. Pół Polski ze śniegiem, pół z wiosną

Nad Polskę przybył cyklon o nazwie Dorte, który przyniesie zmienne warunki pogodowe i wręcz podzieli kraj na pół. Prognozy wskazują na chłodniejsze rejony, gdzie pojawi się śnieg, ale także na obszary, gdzie będzie dużo słońca i temperatury wzrosną do wiosennych wartości.

Zmiana w pogodzie. Polskę nawiedzą cyklony znad Atlantyku?
31 stycznia 2024, 12:04

Zmiana w pogodzie. Polskę nawiedzą cyklony znad Atlantyku?

Opady, silny wiatr i wahania temperatur - najbliższe dni zwiastują dużą zmianę. Natomiast, początek lutego przyniesie załamanie pogodowe z prawdopodobieństwem wystąpienia cyklonów znad Atlantyku.

Alerty nawet drugiego stopnia. Cyklon nadciągnął do Polski
27 stycznia 2024, 05:26

Alerty nawet drugiego stopnia. Cyklon nadciągnął do Polski

Nad Polskę dotarł cyklon Katrin, powodując załamanie pogody. W sobotę musimy przygotować się na opady deszczu, a także śnieżyce. Będzie też mocno wiało.

dhvzv6i
Zbliża się cyklon Gertruda. Synoptycy ostrzegają
18 stycznia 2024, 13:35

Zbliża się cyklon Gertruda. Synoptycy ostrzegają

Rzecznik IMGW-PIB Grzegorz Walijewski mówił w programie "Newsroom", że cyklon Gertruda – czyli układ niskiego ciśnienia - pojawi się w najbliższy weekend w Polsce. Przyniesie ze sobą silniejsze podmuchy wiatru i zmienną pogodę. - Polsce północnej siła wiatru może być większa i wyniesie w porywach 90 km/h - mówił synoptyk. Dodał, że do przejścia Gertrudy pogoda będzie zmienna - trochę śniegu, trochę roztopów. Ostrzegł, że w związku z tym, iż w weekend temperatura będzie oscylowała wokół zera, możemy mieć do czynienia z oblodzeniami i gołoledzią na drogach.
Dramat na rajskiej wyspie. Uderzył Belal
15 stycznia 2024, 13:16

Dramat na rajskiej wyspie. Uderzył Belal

Cyklon Belal uderzył we francuską wyspę Reunion. Władze wezwały mieszkańców, aby zaopatrzyli się w wodę i żywność i do wtorku rano nie wychodzi ze swoich domów. Ogłoszono najwyższy alert burzowy.

Pogoda zabija. Spustoszenie na Wyspach
3 stycznia 2024, 13:17

Pogoda zabija. Spustoszenie na Wyspach

Cyklon Henk sieje spustoszenie na Wyspach Brytyjskich. W Anglii i Walii wydano ponad 600 ostrzeżeń pogodowych i alertów powodziowych. Odwołano pociągi i zamknięto drogi. W hrabstwie Gloucestershire zginął 50-letni mężczyzna.

Koszmarny początek Świąt w Niemczech. Żywioł sparaliżował kraj
27 grudnia 2023, 09:58

Koszmarny początek Świąt w Niemczech. Żywioł sparaliżował kraj

Tuż przed Świętami Bożego Narodzenia Niemcy nawiedził cyklon Zoltan, charakteryzujący się obfitymi opadami deszczu i porywistym wiatrem. W piątek i w sobotę załamanie pogody doprowadziło do paraliżu komunikacyjnego, zwłaszcza na północy kraju. Agencje Reutera i AP udostępniły nagrania z Hamburga, ukazujące powagę całej sytuacji. Na nagraniach widać, że rzeka Łaba zalała ulice wokół miejskiego targu rybnego, a miejscami woda sięgała nawet do pasa. Z tego powodu przedświąteczne podróże koleją w niektórych częściach Niemiec były niemożliwe. Krajowe koleje Deutsche Bahn poinformowały, że odwołano połączenia na trasach z Hamburga i Hanoweru do Frankfurtu i Monachium. Połączenia dalekobieżne z Hamburga na północ do Kilonii i Flensburga również nie były realizowane. Z kolei na lotnisku we Frankfurcie, najbardziej ruchliwym w Niemczech, wystąpiły poważne opóźnienia lotów związane z szalejącym wiatrem. W Wigilię sytuacja w północnych Niemczech już się uspokoiła, jednak cyklon Zoltan nie odpuścił i tego samego dnia w późnych godzinach wieczornych nawiedził też Polskę, co skutkowało porywistym wiatrem i opadami deszczu.

Zoltan szalał we Wrocławiu. Powalał drzewa i zrywał sieci
22 grudnia 2023, 11:41

Zoltan szalał we Wrocławiu. Powalał drzewa i zrywał sieci

Powalone drzewa, zerwana sieć trakcyjna i spowodowane szkodami zakłócenia w miejskiej komunikacji - cyklon Zoltan z wichurą i deszczem dał się we znaki mieszkańcom Wrocławia. Najwięcej pracy służby miały w podwrocławskich miejscowościach.

dhvzv6i
Co się dzieje? Zawrotne prędkości samolotów. Lądują przed czasem
2 listopada 2023, 15:09

Co się dzieje? Zawrotne prędkości samolotów. Lądują przed czasem

W ciągu ostatnich 24 godzin samoloty pasażerskie lecące z USA na wschód przez Atlantyk osiągnęły niebywałe prędkości. Niektóre maszyny lądują dużo przed czasem.

Wyjątkowo groźny cyklon sunie w kierunku Polski. Sieje spustoszenie w Europie
2 listopada 2023, 10:07

Wyjątkowo groźny cyklon sunie w kierunku Polski. Sieje spustoszenie w Europie

Czwartek będzie jeszcze pogodny, ale już w nocy spodziewane jest załamanie pogody. Do Europy dotarł wyjątkowo groźny cyklon. Już szaleje nad zachodnią Europą. Sunie w kierunku Polski. Odczujemy jego moc. Już pojawiają się doniesienia o pierwszych silnych podmuchach, które mogą stwarzać zagrożenie.

Bardzo niebezpieczny Ciaran. Cyklon zmierza do Europy
1 listopada 2023, 11:04

Bardzo niebezpieczny Ciaran. Cyklon zmierza do Europy

Brytyjczycy i mieszkańcy Francji i Belgii szykują się na uderzenie cyklonu. Znad Atlantyku nadciągają ulewy, wichury i śnieżyce. Ostrzeżenia pogodowe wysyłane są też w innych państwach w Europie. Pogoda załamie się także w Polsce.

Orkan Ciaran uderzy w Polskę? Mamy aktualny komentarz z IMGW
31 października 2023, 19:59

Orkan Ciaran uderzy w Polskę? Mamy aktualny komentarz z IMGW

W Europę wkrótce uderzy potężny orkan Ciaran. Eksperci przewidują, że przyniesie bardzo silne wichury, burze i ulewy. Jak wpłynie na warunki pogodowe w Polsce? Instytut Meteorologii i Gospodarki Wodnej uspokaja.

Spełnił się najgorszy koszmar. Oko huraganu w centrum miasta
27 października 2023, 05:00

Spełnił się najgorszy koszmar. Oko huraganu w centrum miasta

Huragan Otin uderzył z samego rana. Cyklon przerodził się w istną bestię zaledwie w 24 godziny. Zginęło co najmniej 27 osób. Są zaginieni.

dhvzv6i
dhvzv6i
Więcej tematów

Pobieranie, zwielokrotnianie, przechowywanie lub jakiekolwiek inne wykorzystywanie treści dostępnych w niniejszym serwisie - bez względu na ich charakter i sposób wyrażenia (w szczególności lecz nie wyłącznie: słowne, słowno-muzyczne, muzyczne, audiowizualne, audialne, tekstowe, graficzne i zawarte w nich dane i informacje, bazy danych i zawarte w nich dane) oraz formę (np. literackie, publicystyczne, naukowe, kartograficzne, programy komputerowe, plastyczne, fotograficzne) wymaga uprzedniej i jednoznacznej zgody Wirtualna Polska Media Spółka Akcyjna z siedzibą w Warszawie, będącej właścicielem niniejszego serwisu, bez względu na sposób ich eksploracji i wykorzystaną metodę (manualną lub zautomatyzowaną technikę, w tym z użyciem programów uczenia maszynowego lub sztucznej inteligencji). Powyższe zastrzeżenie nie dotyczy wykorzystywania jedynie w celu ułatwienia ich wyszukiwania przez wyszukiwarki internetowe oraz korzystania w ramach stosunków umownych lub dozwolonego użytku określonego przez właściwe przepisy prawa.Szczegółowa treść dotycząca niniejszego zastrzeżenia znajduje siętutaj