Prezydent Filipin: 2-2,5 tys. ofiar tajfunu Haiyan, a nie 10 tys.

Liczba ofiar śmiertelnych potężnego tajfunu Haiyan, który uderzył w Filipiny, jest zapewne bliższa 2 tys. albo 2,5 tys., a nie - jak wcześniej podawano - 10 tys. - oświadczył we wtorek prezydent tego kraju Benigno Aquino w wywiadzie dla telewizji CNN.

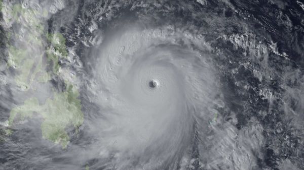
Silny tajfun u wybrzeży Filipin (zdjęcie satelitarne)
Źródło zdjęć: © PAP/EPA | NOAA

- Liczba (ofiar), którą w tej chwili dysponuję, to ok. 2 tys., ale może jeszcze wzrosnąć - powiedział Aquino w wywiadzie przeprowadzonym przez Christiane Amanpour. - Myślę, że 10 tys. to za dużo. Na tę konkretną ocenę rzutował dramat emocjonalny - dodał i zaznaczył, że rząd Filipin nadal zbiera informacje z dotkniętych przez tajfun regionów. Powiedział, że w tej chwili władze szacują, iż ofiar śmiertelnych może być od 2 tys. do ok. 2,5 tys.

Krajowa agencja zarządzania kryzysowego oficjalnie potwierdziła we wtorek śmierć 1774 osób.

O co najmniej 10 tysiącach ofiar tajfunu Haiyan informowała w niedzielę filipińska policja na podstawie wypowiedzi gubernatora prowincji Leyte, gdzie wiele miast i wsi zostało praktycznie zrównanych z ziemią.

Tajfun Haiyan, najpotężniejszy, jaki powstał w tym roku na świecie, uderzył w piątek w środkową część archipelagu Filipin.

Zobacz więcej w serwisie pogoda

Wybrane dla Ciebie
Skażenie wody na Pomorzu. Policja sprawdza możliwą ingerencję w instalację
Skażenie wody na Pomorzu. Policja sprawdza możliwą ingerencję w instalację
"Panie marszałku". Kowalski zapowiada projekt ustawy
"Panie marszałku". Kowalski zapowiada projekt ustawy
Bogucki o decyzji prezydenta ws. Orbana. "W poprzek polskiego interesu"
Bogucki o decyzji prezydenta ws. Orbana. "W poprzek polskiego interesu"
Roblox demoralizuje młodzież? Tak uznał rosyjski urząd
Roblox demoralizuje młodzież? Tak uznał rosyjski urząd
Będzie głosowanie weta Nawrockiego. Siemoniak skomentował
Będzie głosowanie weta Nawrockiego. Siemoniak skomentował
Żurek atakuje Nawrockiego. Wylicza mu liczbę wet i porównuje do Kaczyńskiego
Żurek atakuje Nawrockiego. Wylicza mu liczbę wet i porównuje do Kaczyńskiego
Tajemnicze zniknięcie Ławrowa. Pojawiła się zaskakująca teoria
Tajemnicze zniknięcie Ławrowa. Pojawiła się zaskakująca teoria
Waldemar Żurek zapowiada możliwe konsekwencje po uchwale dwóch izb Sądu Najwyższego
Waldemar Żurek zapowiada możliwe konsekwencje po uchwale dwóch izb Sądu Najwyższego
Działo się w środę. Oto najważniejsze wydarzenia [SKRÓT DNIA]
Działo się w środę. Oto najważniejsze wydarzenia [SKRÓT DNIA]
Doradca Putina o rozmowach z USA o pokoju w Ukrainie. Chwali się zdobyczami terytorialnymi
Doradca Putina o rozmowach z USA o pokoju w Ukrainie. Chwali się zdobyczami terytorialnymi
Kosmonauta z Rosji odsunięty od misji SpaceX. Wynosił tajne materiały?
Kosmonauta z Rosji odsunięty od misji SpaceX. Wynosił tajne materiały?
Kontrowersyjna uchwała w SN. "To będzie kolejny problem"
Kontrowersyjna uchwała w SN. "To będzie kolejny problem"