Największe huragany w historii

To były najbardziej zabójcze i niszczycielskie huragany w dziejach świata. Historia może sie powtórzyć?

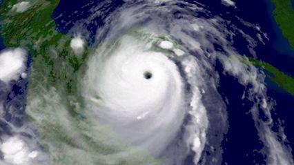
Obraz

/ 11Przerażające prognozy naukowców: to rok katastrof

Obraz
© AFP

Sezon atlantyckich huraganów będzie w 2013 roku ponadprzeciętny - przewidują synoptycy z Uniwersytetu Stanowego w Kolorado. Nad Atlantykiem ma pojawić się 18 burz tropikalnych, z których dziewięć przekształci się w huragany.

Cztery huragany będą silne z utrzymującymi się wiatrami wiejącymi z prędkością co najmniej 178 km na godzinę - poinformowali agencję Reutera eksperci z Kolorado, znani z precyzyjnych prognoz długoterminowych.

Średnio w sezonie huraganów, który trwa od 1 czerwca do 30 listopada, występuje około dwunastu burz tropikalnych, sześć huraganów i dwa większe huragany nad Oceanem Atlantyckim, Morzem Karaibskim i Zatoką Meksykańską.

Zobaczcie największe huragany w historii, rekordowe nie tylko pod względem wstrząsającej liczby ofiar, ale także pod względem zniszczeń.

(PAP/Wikipedia/ewak)

Zobacz więcej w serwisie pogoda.

/ 11Huragan Galveston

Obraz
© AFP

Huragan, który tej pory pochłonął najwięcej ofiar. Uderzając w 1900 roku w wybrzeże Teksasu i w miasto o nazwie Galveston, pozbawił życia 12 tysięcy osób.

Masz ciekawe fotografie?* Wyślij nam zdjęcia!*

Byłeś świadkiem lub uczestnikiem ważnego zdarzenia? Poinformuj Internautów o tym, co dzieje się w Polsce, na świecie, w Twojej okolicy! Czekamy na Twoje zgłoszenie!

Zobacz więcej w serwisie pogoda.

/ 11Huragan Mitch

Obraz
© AFP

Katastrofalny huragan Mitch zaatakował jesienią 1998 Amerykę Środkową i zabił 9 214 osób. 13 042 zostało rannych, a 9 171 uznaje się za zaginione. Największe szkody Mitch spowodował w Hondurasie i Nikaragui, gdzie straty materialne oszacowane zostały na 1,5 miliarda dolarów.

Masz ciekawe fotografie?* Wyślij nam zdjęcia!*

Byłeś świadkiem lub uczestnikiem ważnego zdarzenia? Poinformuj Internautów o tym, co dzieje się w Polsce, na świecie, w Twojej okolicy! Czekamy na Twoje zgłoszenie!

Zobacz więcej w serwisie pogoda.

/ 11Huragan Fifi

Obraz
© Wikipedia

Huragan, który w 1974 roku przeszedł nad Hondurasem, pod każdym względem był jednym z najbardziej destrukcyjnych żywiołów w historii. Zabił 8 tysięcy osób i spowodował straty wynoszące 3,7 miliarda dolarów. Poczynił tak katastrofalne szkody, że zdecydowano, iż imieniem "Fifi" nie będzie nazwany już żaden inny huragan atlantycki.

Masz ciekawe fotografie?* Wyślij nam zdjęcia!*

Byłeś świadkiem lub uczestnikiem ważnego zdarzenia? Poinformuj Internautów o tym, co dzieje się w Polsce, na świecie, w Twojej okolicy! Czekamy na Twoje zgłoszenie!

Zobacz więcej w serwisie pogoda.

/ 11Huragan Okeechobee

Obraz
© Wikipedia

Jeden z dziesięciu najbardziej morderczych huraganów, jakie kiedykolwiek nawiedziły Stany Zjednoczone. Uderzył we wrześniu 1928 roku, pozostawiając za sobą ogromne zniszczenia. W samej Florydzie śmierć poniosło 2500 osób. Na obszarze Gwadelupy życie straciło 1200 osób. W Portoryko, po osiągnięciu przez cyklon piątej kategorii, zginęło 300 osób. Straty materialne wyniosły 100 milionów dolarów.

Masz ciekawe fotografie?* Wyślij nam zdjęcia!*

Byłeś świadkiem lub uczestnikiem ważnego zdarzenia? Poinformuj Internautów o tym, co dzieje się w Polsce, na świecie, w Twojej okolicy! Czekamy na Twoje zgłoszenie!

Zobacz więcej w serwisie pogoda.

/ 11Huragan Katrina

Obraz
© AFP

Jeden z najpotężniejszych cyklonów tropikalnych w Stanach Zjednoczonych, zarówno pod względem wstrząsającej liczby ofiar, jak i ogromu zniszczeń. Narodził się 23 sierpnia 2005 roku. Największe szkody cyklon ten spowodował w Nowym Orleanie, gdzie zniszczenia wyniosły ponad 81 miliardów dolarów. Huragan doprowadził do śmierci 1836 osób, a 705 zostało uznane za zaginione.

Masz ciekawe fotografie?* Wyślij nam zdjęcia!*

Byłeś świadkiem lub uczestnikiem ważnego zdarzenia? Poinformuj Internautów o tym, co dzieje się w Polsce, na świecie, w Twojej okolicy! Czekamy na Twoje zgłoszenie!

Zobacz więcej w serwisie pogoda.

/ 11Wielki Huragan w Nowej Anglii

Obraz
© Wikipedia

Najmocniejszy, najbardziej kosztowny i najbardziej śmiercionośny huragan w historii Nowej Anglii. Uderzył we wrześniu 1938 roku i pozbawił życia ponad 600 ludzi. Zniszczył 57.000 domów i spowodował straty w wysokości około 306 milionów dolarów (4,7 mld według cen stałych z roku 2009).

Masz ciekawe fotografie?* Wyślij nam zdjęcia!*

Byłeś świadkiem lub uczestnikiem ważnego zdarzenia? Poinformuj Internautów o tym, co dzieje się w Polsce, na świecie, w Twojej okolicy! Czekamy na Twoje zgłoszenie!

Zobacz więcej w serwisie pogoda.

/ 11Huragan Sandy

Obraz
© AFP

Huragan Sandy, nazywany także "Frankenstormem", przeszedł nad Stanami Zjednoczonymi w ostatnim tygodniu października 2012 roku. W wyniku niszczycielskiego żywiołu tylko w USA zginęło 121 osób. Kolejnych 80 straciło życie na Haiti, Kubie, Bahamach, Dominikanie, Jamajce i w Kanadzie. 16 osób wciąż uznawanych jest za zaginione. Poza zabijaniem, huragan spowodował ogromne spustoszenia materialne. Zniszczył lub uszkodził ponad 300 tysięcy domów, a 8 milionów mieszkańców wschodniego wybrzeża USA pozbawił dostaw elektryczności.

Zniszczenia spowodowane przez Sandy w stanach Nowy Jork i New Jersey będą kosztowały co najmniej 60 miliardów dolarów. Co najmniej, bo liczenie strat jeszcze się nie zakończyło.

Masz ciekawe fotografie?* Wyślij nam zdjęcia!*

Byłeś świadkiem lub uczestnikiem ważnego zdarzenia? Poinformuj Internautów o tym, co dzieje się w Polsce, na świecie, w Twojej okolicy! Czekamy na Twoje zgłoszenie!

Zobacz więcej w serwisie pogoda.

/ 11Huragan Pauline

Obraz
© AFP

W październiku 1997 roku huragan Pauline pozbawił życia 210 osób w Acapulco, stanach Chiapas oraz Oaxaca w Meksyku. 150 000 ludzi zostało poszkodowanych. Spowodował także duże zniszczenia, uszkodził dziesiątki tysięcy domów. Straty materialne oszacowano na 447 milionów dolarów.

Masz ciekawe fotografie?* Wyślij nam zdjęcia!*

Byłeś świadkiem lub uczestnikiem ważnego zdarzenia? Poinformuj Internautów o tym, co dzieje się w Polsce, na świecie, w Twojej okolicy! Czekamy na Twoje zgłoszenie!

Zobacz więcej w serwisie pogoda.

10 / 11Huragan Ike

Obraz
© AFP

Siejący zniszczenie huragan Ike uderzył we wrześniu 2008 roku. Ta niszczycielska maszyna po przejściu nad Karaibami uderzyła w wybrzeża amerykańskiego stanu Teksas, pozostawiając po sobie krajobraz rodem z filmu katastroficznego. Był najdroższym huraganem w historii stanu Teksas oraz Kuby. Straty materialne wyniosły ok. 38 miliardów dolarów. Zginęło 195 osób.

Masz ciekawe fotografie?* Wyślij nam zdjęcia!*

Byłeś świadkiem lub uczestnikiem ważnego zdarzenia? Poinformuj Internautów o tym, co dzieje się w Polsce, na świecie, w Twojej okolicy! Czekamy na Twoje zgłoszenie!

Zobacz więcej w serwisie pogoda.

11 / 11Huragan Andrew

Obraz
© PAP/EPA

Andrew narodził się 16 sierpnia 1992 roku między wybrzeżami Ameryki Południowej i Afryki. W ciągu 6 dni przerodził się w huragan o potężnej sile. Został uznany za jeden z najkosztowniejszych cyklonów w historii USA. Straty materialne sięgały 26,5 miliardów dolarów. Za jego sprawą zginęło 26 osób.

(PAP/Wikipedia/ewak)

Masz ciekawe fotografie?* Wyślij nam zdjęcia!*

Byłeś świadkiem lub uczestnikiem ważnego zdarzenia? Poinformuj Internautów o tym, co dzieje się w Polsce, na świecie, w Twojej okolicy! Czekamy na Twoje zgłoszenie!

Zobacz więcej w serwisie pogoda.

Wybrane dla Ciebie
Awaryjne lądowanie Hegseth'a. Podano powód
Awaryjne lądowanie Hegseth'a. Podano powód
Kolumbia. Indianie strzelali z łuków w budynek ambasady USA
Kolumbia. Indianie strzelali z łuków w budynek ambasady USA
Polacy o Nawrockiej. Ocenili, jak sobie radzi w roli pierwszej damy
Polacy o Nawrockiej. Ocenili, jak sobie radzi w roli pierwszej damy
Ciało młodej kobiety w windzie. Prokuratura postawiła zarzuty
Ciało młodej kobiety w windzie. Prokuratura postawiła zarzuty
Noblistka wychwala Trumpa. "Wenezuelczycy są mu wdzięczni"
Noblistka wychwala Trumpa. "Wenezuelczycy są mu wdzięczni"
Hamas przekazał trumnę z ciałem kolejnego zakładnika. Co z resztą?
Hamas przekazał trumnę z ciałem kolejnego zakładnika. Co z resztą?
33-latek z Luizjany aresztowany. Miał brać udział w ataku Hamasu
33-latek z Luizjany aresztowany. Miał brać udział w ataku Hamasu
Axios o spotkaniu Trump-Zełenski. "Nikt nie krzyczał, ale było ciężko"
Axios o spotkaniu Trump-Zełenski. "Nikt nie krzyczał, ale było ciężko"
Prognoza IMGW na zimę. Czeka nas "zima stulecia"?
Prognoza IMGW na zimę. Czeka nas "zima stulecia"?
Alkohol na stacjach benzynowych? "Kupuje go tam 70 proc. uzależnionych"
Alkohol na stacjach benzynowych? "Kupuje go tam 70 proc. uzależnionych"
Zniknął obraz Picassa. Zaginął podczas transportu
Zniknął obraz Picassa. Zaginął podczas transportu
Rostów nad Donem: 15 ukraińskich jeńców skazanych na kolonię karną
Rostów nad Donem: 15 ukraińskich jeńców skazanych na kolonię karną