WAŻNE
TERAZ

Jest zgoda na areszt dla Ziobry. Sejm zdecydował

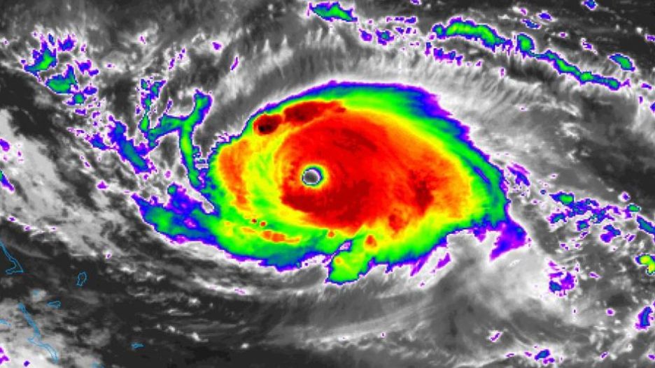
Zbliża się Dorian. Niszczycielski huragan ma już 4. kategorię

Huragan Dorian ma już 4. kategorię w 5-stopniowej skali. Zmierza w kierunku Bahamów. Zdaniem Donalda Trumpa może przerodzić się w "absolutnego potwora".

Dorian - niszczycielski huragan przybiera na sile
Źródło zdjęć: © Twitter
Katarzyna Bogdańska

Huragan Dorian cały czas przybiera na sile. Może być wyjątkowo niszczycielski. Przewiduje się, że w niedzielę i poniedziałek przejdzie w pobliżu wysp Bahama, a do wtorku dotrze do wschodniego wybrzeża Florydy. Oczekuje się, że spowoduje ulewne deszcze i wiatry o sile ok. 209 km/h.

Władze proszą o bezwzględne stosowanie się do zaleceń miejscowych służb. W piątek siłę huraganu podniesiono do kategorii trzeciej. Teraz zyskał już czwartą kategorię w pięciostopniowej skali.

Mieszkańcy szykują się do ewakuacji. Nie wszyscy jednak chcą to zrobić. Przestrzega się, że takie zachowanie jest wyjątkowo ryzykowne.

Donald Trump nie przyjedzie 1 września do Polski

Donald Trump odwołał swoja wizytę w Polsce i nie pojawi się 1 września na obchodach 80. rocznicy wybuchu II wojny światowej. Powodem jest właśnie huragan Dorian.

- Wygląda na to, że burza może być bardzo, bardzo duża - powiedział prezydent USA, cytowany przez bloobmerg.com.

Linie lotnicze zastanawiają się, czy anulować loty. Z kolei linie rejsowe przekierowują maszyny z regionu. Władze ogłosiły na Florydzie stan wyjątkowy.

Zobacz aktualne wiadomości na WIADOMOSCI.WP.PL.

Zobacz także: "To nie idioci, to grupa łajdaków”. Były szef MSW ostro o aferze w Ministerstwie Sprawiedliwości

Masz newsa, zdjęcie lub filmik? Prześlij nam przez dziejesie.wp.pl

Źródło artykułu: WP Wiadomości
Wybrane dla Ciebie
Tusk zabrał głos ws. Ziobry. "Nie mam potrzeby zemsty"
Tusk zabrał głos ws. Ziobry. "Nie mam potrzeby zemsty"
Minister zamieścił film. "Immunitet odebrano, żurek podano"
Minister zamieścił film. "Immunitet odebrano, żurek podano"
Sejm zdecydował w sprawie Ziobry, Słynny psychiatra odwołany po tekście WP [SKRÓT DNIA]
Sejm zdecydował w sprawie Ziobry, Słynny psychiatra odwołany po tekście WP [SKRÓT DNIA]
Sikorski utknął na poczcie. "Po godzinie już tylko 15 osób przede mną"
Sikorski utknął na poczcie. "Po godzinie już tylko 15 osób przede mną"
Wielka umowa Orlenu. Dostarczy Ukrainie gaz LNG z USA
Wielka umowa Orlenu. Dostarczy Ukrainie gaz LNG z USA
Immunitet Zbigniewa Ziobry. Jest zgoda Sejmu
Immunitet Zbigniewa Ziobry. Jest zgoda Sejmu
Kolejni posłowie PiS stracą immunitety?Media: wnioski podpisane
Kolejni posłowie PiS stracą immunitety?Media: wnioski podpisane
Kaczyński o Ziobrze. "To zła bajka o złym czarowniku"
Kaczyński o Ziobrze. "To zła bajka o złym czarowniku"
Po ich sąsiadach zostały tabliczki. 20 osób nadal mieszka na pasie startowym CPK
Po ich sąsiadach zostały tabliczki. 20 osób nadal mieszka na pasie startowym CPK
Ziobro nie pojawił się w Sejmie. Udzielił wywiadu z Budapesztu
Ziobro nie pojawił się w Sejmie. Udzielił wywiadu z Budapesztu
Skandal wokół słynnego psychiatry. Fala komentarzy. "Nie do uwierzenia"
Skandal wokół słynnego psychiatry. Fala komentarzy. "Nie do uwierzenia"
"Nie wystarczy wrzucanie postów". Prezydent odpowiada premierowi
"Nie wystarczy wrzucanie postów". Prezydent odpowiada premierowi