WAŻNE
TERAZ

Idzie uderzenie w Glapińskiego? Oto plan ukarania go za SAFE 0 proc.

Ewakuowano już 1 milion osób. Supertajfun uderzy w wyspiarski kraj

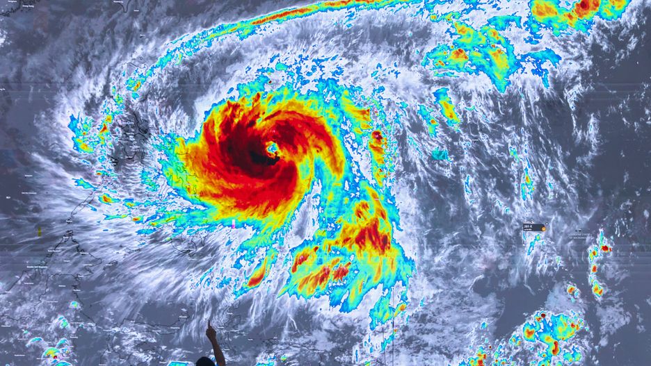
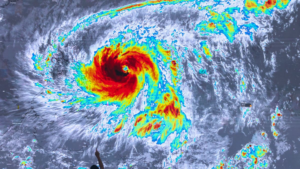
Na Filipinach wciąż trwa sprzątanie po niszczycielskim tajfunie Kalamegi, który przeszedł przez ten kraj w ostatnich dniach. Tymczasem do kraju zbliża się kolejny żywioł - supertajfun Fung-wong. Władze Filipin ewakuowały już ponad milion mieszkańców ze wschodnich i północnych regionów kraju.

Fung-wong zbliża się do Filipin. Już ewakuowano 100 tys. mieszkańcówFung-wong zbliża się do Filipin. Już ewakuowano 100 tys. mieszkańców
Źródło zdjęć: © Agencja Forum | AA/ABACA
Violetta Baran

Fung-wong, zgodnie z przewidywaniami, przekształcił się już w supertajfun, który w ciągu dnia uderzy w Filipiny. Niszczycielskim wiatrom towarzyszyć będzie ulewny deszcz i wysokie fale.

We wschodniej części wyspiarskiej prowincji Visayas już występują przerwy w dostawie prądu.

Koszmar pogodowy na Alasce. Żywioł porywał domy, woda była wszędzie

Według organu nadzoru lotnictwa cywilnego odwołano już ponad 300 lotów krajowych i międzynarodowych.

W wielu częściach kraju ogłoszono alert przed niszczycielskim wiatrem i ulewnymi deszczami. Najwyższy 5. poziom alertu obowiązuje w południowo-wschodniej części wyspy Luzon.

Supertajfun Fung-wong, lokalnie znany jako Uwan, z wiatrem, którego prędkość dochodziła będzie w porywach do 230 km/h, prawdopodobnie dotrze do prowincji Aurora w centralnej części Luzonu najwcześniej w niedzielę wieczorem lokalnego czasu.

Fale mogą mieć wysokość 4-5 metrów

Zgodnie z danymi krajowej agencji meteorologicznej PAGASA tajfun rozciąga się na obszarze o średnicy około 1,5 tys. kilometrów, co oznacza, że skutki jego przejścia może odczuć niemal cały archipelag.

Meteorolodzy ostrzegają, że fala sztormowa może osiągnąć wysokość 4-5 metrów, a intensywne opady - nawet 200 milimetrów deszczu w niektórych regionach.

Nadciągający Fung-wong pojawia się zaledwie kilka dni po tym, jak wcześniejszy tajfun Kalmaegi (Tino) przeszedł przez Filipiny i Wietnam, powodując śmierć setek osób oraz ogromne zniszczenia infrastruktury.

Źródło: reuters.com

Wybrane dla Ciebie
Trump blisko przełomu? Doradca mówi o końcu konfliktów
Trump blisko przełomu? Doradca mówi o końcu konfliktów
Liderzy Iranu błagają o pokój? Trump: "boją się o tym powiedzieć"
Liderzy Iranu błagają o pokój? Trump: "boją się o tym powiedzieć"
Seria izraelskich ataków. Niespokojna noc na Bliskim Wschodzie
Seria izraelskich ataków. Niespokojna noc na Bliskim Wschodzie
Działo się w nocy. USA usuwają dwa nazwiska z listy celów w Iranie
Działo się w nocy. USA usuwają dwa nazwiska z listy celów w Iranie
Dziwne nagrania na koncie Białego Domu. "Wkrótce start, prawda?"
Dziwne nagrania na koncie Białego Domu. "Wkrótce start, prawda?"
Nowy sondaż na Węgrzech. Widać wyraźny trend
Nowy sondaż na Węgrzech. Widać wyraźny trend
Łukaszenka u Kim Dzong Una. Zwrócili uwagę na znaczący gest
Łukaszenka u Kim Dzong Una. Zwrócili uwagę na znaczący gest
Orlen reaguje na słowa Obajtka ws. cen paliw. "Odkłamujemy"
Orlen reaguje na słowa Obajtka ws. cen paliw. "Odkłamujemy"
Jednostka GROM z nowym dowódcą. Szef MON ogłosił
Jednostka GROM z nowym dowódcą. Szef MON ogłosił
Orban już się nie hamuje. Zadziwiające słowa na wiecu wyborczym
Orban już się nie hamuje. Zadziwiające słowa na wiecu wyborczym
Jak wyemigrować do Polski. Brytyjska gazeta podaje przepis
Jak wyemigrować do Polski. Brytyjska gazeta podaje przepis
Atak Nawrockiego na reportera TVN. Dziennikarze reagują
Atak Nawrockiego na reportera TVN. Dziennikarze reagują