Cyklon Ita w Australii

"To najsilniejszy cyklon od 2011 roku"

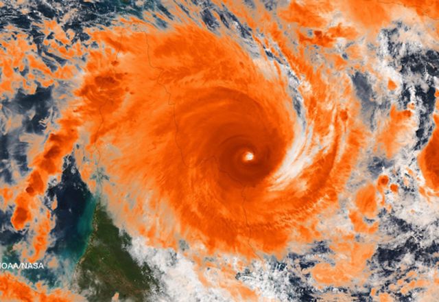
Obraz

/ 8Potężny cyklon uderzył w Australię - zobacz zdjęcia

Obraz
© PAP/EPA

Cyklon Ita uderzył we wschodnie wybrzeże Australii. - To najsilniejszy cyklon od 2011 roku - donoszą lokalne media. Największe straty odnotowano w północnej części stanu Queensland. Prędkość wiatru sięgała 170 kilometrów na godzinę. Padał intensywny deszcz.

Według pierwszych doniesień, powalone są drzewa, zniszczone domy. Ludzi na niżej położonych terenach przybrzeżnych informowano wcześniej o możliwych potężnych falach i zalaniach. Był to najpotężniejszy cyklon, jaki uderzył w wybrzeże Australii od dwóch lat. Na początku Ita miał kategorię piątą - najwyższą; teraz znacznie osłabł i ma kategorię drugą. Miejscami, po ustąpieniu cyklonu, podczas sześciogodzinnych opadów spaść może do 300 litrów deszczu na metr kwadratowy - zaznaczają eksperci.

(evak/IAR/TVN Meteo)

Zobacz więcej w serwisie pogoda.

/ 8Najsilniejszy cyklon od 2011 roku

Obraz
© PAP/EPA

Cyklon Ita uderzył we wschodnie wybrzeże Australii. - To najsilniejszy cyklon od 2011 roku - donoszą lokalne media. Największe straty odnotowano w północnej części stanu Queensland. Prędkość wiatru sięgała 170 kilometrów na godzinę. Padał intensywny deszcz.

Według pierwszych doniesień, powalone są drzewa, zniszczone domy. Ludzi na niżej położonych terenach przybrzeżnych informowano wcześniej o możliwych potężnych falach i zalaniach. Był to najpotężniejszy cyklon, jaki uderzył w wybrzeże Australii od dwóch lat. Na początku Ita miał kategorię piątą - najwyższą; teraz znacznie osłabł i ma kategorię drugą. Miejscami, po ustąpieniu cyklonu, podczas sześciogodzinnych opadów spaść może do 300 litrów deszczu na metr kwadratowy - zaznaczają eksperci.

Masz ciekawe fotografie?* Wyślij nam zdjęcia!*

Byłeś świadkiem lub uczestnikiem ważnego zdarzenia? Poinformuj Internautów o tym, co dzieje się w Polsce, na świecie, w Twojej okolicy! Czekamy na Twoje zgłoszenie!

Zobacz więcej w serwisie pogoda.

/ 8Najsilniejszy cyklon od 2011 roku

Obraz
© PAP/EPA

Cyklon Ita uderzył we wschodnie wybrzeże Australii. - To najsilniejszy cyklon od 2011 roku - donoszą lokalne media. Największe straty odnotowano w północnej części stanu Queensland. Prędkość wiatru sięgała 170 kilometrów na godzinę. Padał intensywny deszcz.

Według pierwszych doniesień, powalone są drzewa, zniszczone domy. Ludzi na niżej położonych terenach przybrzeżnych informowano wcześniej o możliwych potężnych falach i zalaniach. Był to najpotężniejszy cyklon, jaki uderzył w wybrzeże Australii od dwóch lat. Na początku Ita miał kategorię piątą - najwyższą; teraz znacznie osłabł i ma kategorię drugą. Miejscami, po ustąpieniu cyklonu, podczas sześciogodzinnych opadów spaść może do 300 litrów deszczu na metr kwadratowy - zaznaczają eksperci.

Masz ciekawe fotografie?* Wyślij nam zdjęcia!*

Byłeś świadkiem lub uczestnikiem ważnego zdarzenia? Poinformuj Internautów o tym, co dzieje się w Polsce, na świecie, w Twojej okolicy! Czekamy na Twoje zgłoszenie!

Zobacz więcej w serwisie pogoda.

/ 8Najsilniejszy cyklon od 2011 roku

Obraz
© PAP/EPA

Cyklon Ita uderzył we wschodnie wybrzeże Australii. - To najsilniejszy cyklon od 2011 roku - donoszą lokalne media. Największe straty odnotowano w północnej części stanu Queensland. Prędkość wiatru sięgała 170 kilometrów na godzinę. Padał intensywny deszcz.

Według pierwszych doniesień, powalone są drzewa, zniszczone domy. Ludzi na niżej położonych terenach przybrzeżnych informowano wcześniej o możliwych potężnych falach i zalaniach. Był to najpotężniejszy cyklon, jaki uderzył w wybrzeże Australii od dwóch lat. Na początku Ita miał kategorię piątą - najwyższą; teraz znacznie osłabł i ma kategorię drugą. Miejscami, po ustąpieniu cyklonu, podczas sześciogodzinnych opadów spaść może do 300 litrów deszczu na metr kwadratowy - zaznaczają eksperci.

Masz ciekawe fotografie?* Wyślij nam zdjęcia!*

Byłeś świadkiem lub uczestnikiem ważnego zdarzenia? Poinformuj Internautów o tym, co dzieje się w Polsce, na świecie, w Twojej okolicy! Czekamy na Twoje zgłoszenie!

Zobacz więcej w serwisie pogoda.

/ 8Najsilniejszy cyklon od 2011 roku

Obraz
© PAP/EPA

Cyklon Ita uderzył we wschodnie wybrzeże Australii. - To najsilniejszy cyklon od 2011 roku - donoszą lokalne media. Największe straty odnotowano w północnej części stanu Queensland. Prędkość wiatru sięgała 170 kilometrów na godzinę. Padał intensywny deszcz.

Według pierwszych doniesień, powalone są drzewa, zniszczone domy. Ludzi na niżej położonych terenach przybrzeżnych informowano wcześniej o możliwych potężnych falach i zalaniach. Był to najpotężniejszy cyklon, jaki uderzył w wybrzeże Australii od dwóch lat. Na początku Ita miał kategorię piątą - najwyższą; teraz znacznie osłabł i ma kategorię drugą. Miejscami, po ustąpieniu cyklonu, podczas sześciogodzinnych opadów spaść może do 300 litrów deszczu na metr kwadratowy - zaznaczają eksperci.

Masz ciekawe fotografie?* Wyślij nam zdjęcia!*

Byłeś świadkiem lub uczestnikiem ważnego zdarzenia? Poinformuj Internautów o tym, co dzieje się w Polsce, na świecie, w Twojej okolicy! Czekamy na Twoje zgłoszenie!

Zobacz więcej w serwisie pogoda.

/ 8Najsilniejszy cyklon od 2011 roku

Obraz
© PAP/EPA

Cyklon Ita uderzył we wschodnie wybrzeże Australii. - To najsilniejszy cyklon od 2011 roku - donoszą lokalne media. Największe straty odnotowano w północnej części stanu Queensland. Prędkość wiatru sięgała 170 kilometrów na godzinę. Padał intensywny deszcz.

Według pierwszych doniesień, powalone są drzewa, zniszczone domy. Ludzi na niżej położonych terenach przybrzeżnych informowano wcześniej o możliwych potężnych falach i zalaniach. Był to najpotężniejszy cyklon, jaki uderzył w wybrzeże Australii od dwóch lat. Na początku Ita miał kategorię piątą - najwyższą; teraz znacznie osłabł i ma kategorię drugą. Miejscami, po ustąpieniu cyklonu, podczas sześciogodzinnych opadów spaść może do 300 litrów deszczu na metr kwadratowy - zaznaczają eksperci.

Masz ciekawe fotografie?* Wyślij nam zdjęcia!*

Byłeś świadkiem lub uczestnikiem ważnego zdarzenia? Poinformuj Internautów o tym, co dzieje się w Polsce, na świecie, w Twojej okolicy! Czekamy na Twoje zgłoszenie!

Zobacz więcej w serwisie pogoda.

/ 8Najsilniejszy cyklon od 2011 roku

Obraz
© PAP/EPA

Cyklon Ita uderzył we wschodnie wybrzeże Australii. - To najsilniejszy cyklon od 2011 roku - donoszą lokalne media. Największe straty odnotowano w północnej części stanu Queensland. Prędkość wiatru sięgała 170 kilometrów na godzinę. Padał intensywny deszcz.

Według pierwszych doniesień, powalone są drzewa, zniszczone domy. Ludzi na niżej położonych terenach przybrzeżnych informowano wcześniej o możliwych potężnych falach i zalaniach. Był to najpotężniejszy cyklon, jaki uderzył w wybrzeże Australii od dwóch lat. Na początku Ita miał kategorię piątą - najwyższą; teraz znacznie osłabł i ma kategorię drugą. Miejscami, po ustąpieniu cyklonu, podczas sześciogodzinnych opadów spaść może do 300 litrów deszczu na metr kwadratowy - zaznaczają eksperci.

Masz ciekawe fotografie?* Wyślij nam zdjęcia!*

Byłeś świadkiem lub uczestnikiem ważnego zdarzenia? Poinformuj Internautów o tym, co dzieje się w Polsce, na świecie, w Twojej okolicy! Czekamy na Twoje zgłoszenie!

Zobacz więcej w serwisie pogoda.

/ 8Najsilniejszy cyklon od 2011 roku

Obraz
© PAP/EPA

Cyklon Ita uderzył we wschodnie wybrzeże Australii. - To najsilniejszy cyklon od 2011 roku - donoszą lokalne media. Największe straty odnotowano w północnej części stanu Queensland. Prędkość wiatru sięgała 170 kilometrów na godzinę. Padał intensywny deszcz.

Według pierwszych doniesień, powalone są drzewa, zniszczone domy. Ludzi na niżej położonych terenach przybrzeżnych informowano wcześniej o możliwych potężnych falach i zalaniach. Był to najpotężniejszy cyklon, jaki uderzył w wybrzeże Australii od dwóch lat. Na początku Ita miał kategorię piątą - najwyższą; teraz znacznie osłabł i ma kategorię drugą. Miejscami, po ustąpieniu cyklonu, podczas sześciogodzinnych opadów spaść może do 300 litrów deszczu na metr kwadratowy - zaznaczają eksperci.

(evak/IAR/TVN Meteo)

Masz ciekawe fotografie?* Wyślij nam zdjęcia!*

Byłeś świadkiem lub uczestnikiem ważnego zdarzenia? Poinformuj Internautów o tym, co dzieje się w Polsce, na świecie, w Twojej okolicy! Czekamy na Twoje zgłoszenie!

Zobacz więcej w serwisie pogoda.

Wybrane dla Ciebie

Korea Płn. pręży muskuły. "Najpotężniejsza" rakieta zaprezentowana
Korea Płn. pręży muskuły. "Najpotężniejsza" rakieta zaprezentowana
Metamorfoza agencji towarzyskiej. Ksiądz otwiera tu klubokawiarnię
Metamorfoza agencji towarzyskiej. Ksiądz otwiera tu klubokawiarnię
Zakaz sprzedaży alkoholu. Ministerstwo Zdrowia z nowymi pomysłami
Zakaz sprzedaży alkoholu. Ministerstwo Zdrowia z nowymi pomysłami
USA wysyła wojsko do Izraela. Ma pilnować rozejmu w Strefie Gazy
USA wysyła wojsko do Izraela. Ma pilnować rozejmu w Strefie Gazy
Gwardia Narodowa na ulicach Memphis. USA ma nową strategię
Gwardia Narodowa na ulicach Memphis. USA ma nową strategię
Łukaszenka wydał rozkaz. "Najwyższy stopień gotowości"
Łukaszenka wydał rozkaz. "Najwyższy stopień gotowości"
Wątpliwości ws. stanu zdrowia Trumpa. "Brak szczerości i przejrzystości"
Wątpliwości ws. stanu zdrowia Trumpa. "Brak szczerości i przejrzystości"
Związki partnerskie w Polsce? Rząd ujawni szczegóły wkrótce
Związki partnerskie w Polsce? Rząd ujawni szczegóły wkrótce
Polska wyłączona z unijnej relokacji migrantów? Decyzja kwestią dni
Polska wyłączona z unijnej relokacji migrantów? Decyzja kwestią dni
Chwilowe ocieplenie. Szybko jednak nadejdą przymrozki
Chwilowe ocieplenie. Szybko jednak nadejdą przymrozki
Polak usunięty z programu w USA. Lawina krytyki
Polak usunięty z programu w USA. Lawina krytyki
Polska 2050 z nowym posłem? Rozmowy na ostatniej prostej
Polska 2050 z nowym posłem? Rozmowy na ostatniej prostej