RELACJA ZAKOŃCZONA

    Potężne uderzenie w Karaiby. Jamajka zaapelowała o pomoc [RELACJA NA ŻYWO]

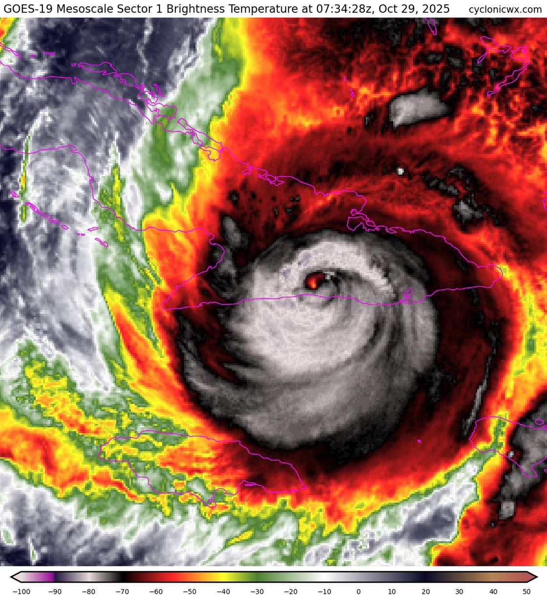
    Około godziny 4:00 czasu lokalnego Melissa dotarła do Kuby. Na Jamajce dokonała rozległych zniszczeń domów, szpitali i szkół. Huragan, który w późnych godzinach nocnych osłabł, przechodząc z kategorii 5 do 3 w skali Saffira-Simpsona, przemieszczając się w kierunku Kuby znów zyskał na sile. Kolejne na trasie żywiołu są Bahamy, tam zarządzono ewakuację.

    Potężne uderzenie w Karaiby. Jamajka zaapelowała o pomoc
    Potężne uderzenie w Karaiby. Jamajka zaapelowała o pomoc
    Źródło zdjęć: © X
    Najważniejsze informacje
    • Huragan Melissa opuścił Jamajkę i ok. godz. 4 czasu lokalnego dotarł do Kuby. Poprzedziły go nawalne deszcze, powodujące liczne podtopienia.
    • W nocy nieco osłabł, przechodząc najpierw z kategorii 5 do 4, a potem do 3 w skali Saffira-Simpsona. Jednak zmierzając w stronę Kuby znów zyskał na sile.
    • Na Jamajce zniszczone są domy, szpitale i szkoły. Ponad 500 tys. mieszkańców wyspy nie ma prądu.
    • Ostrzeżenia przed żywiołem wydano także dla południowo-wschodnich i środkowych Bahamów.
    Relacja zakończona

    Kończymy naszą relację na żywo. Najnowsze informacje na temat huraganu Melissa znajdziesz na stronie głównej Wirtualnej Polski oraz na stronie wiadomosci.wp.pl.

    - Nie mamy żadnej informacji, by nasi obywatele jakkolwiek ucierpieli wskutek przejścia huraganu Melissa - przekazał PAP rzecznik MSZ Maciej Wewiór. Przypomniał, że do wtorku na Jamajce resort dyplomacji potwierdził obecność na miejscu 10 polskich turystów i opiekującego się nimi rezydenta. - Na dzisiaj na Kubie jest zarejestrowanych 19 osób. Tam zbliża się huragan, którego siła już spadła z piątej kategorii do trzeciej; przechodzi przez wschodnią część wyspy, która jest o wiele mniej turystyczna - powiedział rzecznik MSZ.

    Dodał, że do MSZ dotarły informacje, że władze prowincji przenoszą niektórych turystów z hoteli do obiektów znajdujących się w innych miejscach wyspy. - Nie mamy informacji, by byli wśród nich polscy obywatele. Nasza placówka kontaktowała się też z biurami podróży, które organizują wyjazdy i wiemy, że w tym tygodniu żadne z nich nie organizuje wyjazdów na Kubę - podkreślił Wewiór.

    - Wiemy natomiast, że w regionach zagrożonych na Kubie przebywali polscy misjonarze, ale nasza placówka jest z nimi w stałym kontakcie i nie mamy sygnałów, by którykolwiek z nich był zagrożony - dodał Wewiór.

    Reuters opublikował poranne zdjęcia z Jamajki. Widać rejon Montego Bay, gdzie huragan Melissa pozostawił po sobie zniszczenia.

    © Licencjodawca | Reuters
    © Reuters

    Jak podaje stacja NBC News, podczas gdy Melissa nadal przemierza Karaiby, huragan "pobił już kilka rekordów".

    Melissa to najsilniejszy huragan, jaki kiedykolwiek dotarł do Atlantyku, dorównując huraganowi z Labor Day z 1935 roku pod względem prędkości wiatru (299 km/h) i ciśnienia. Jest to również najsilniejszy huragan zarejestrowany pod koniec sezonu huraganów.

    Melissa dołączyła do zaledwie czterech innych huraganów atlantyckich, które pozostają huraganami kategorii 5 przez ponad 36 godzin. (Przeciętna burza kategorii 5 utrzymuje się przez ok. 18 godzin).

    Agencja AFP opublikowała kolejne nagrania z Jamajki i Kuby. Widać niszczycielską siłę żywiołu, a także ewakuację mieszkańców:

    Premier Bahamów Philip Davis oświadczył, że jego rząd podjął wszelkie niezbędne kroki, aby zapewnić, że reakcja na uderzenie huraganu będzie "zorganizowana, dysponująca odpowiednimi zasobami i skuteczna".

    W poniedziałek rząd wydał nakaz ewakuacji mieszkańców kilku wysp na południowym wschodzie archipelagu, które według przewidywań będą najbardziej narażone na ryzyko związane z huraganem Melissa.

    Media przypominają, że w 2019 roku archipelag nawiedził huragan piątej kategorii - Dorian - którego silne wiatry, opady deszczu i fale sztormowe spowodowały ogromne zniszczenia i śmierć wielu osób.

    Papież Leon wyraził swą bliskość z ofiarami huraganu Melissa, który uderzył dziś rano na Kubę po zniszczeniu Jamajki.

    Podczas cotygodniowej audiencji w Watykanie papież powiedział, że modli się "za tych, którzy stracili życie, za tych, którzy uciekają, i za ludność, która w oczekiwaniu na rozwój sytuacji przeżywa godziny niepokoju i obaw".

    Wezwał władze cywilne, aby "zrobiły wszystko, co możliwe", by pomóc potrzebującym i podziękował wspólnotom chrześcijańskim i wolontariuszom za świadczenie pomocy doraźnej.

    Centrum huraganu Melissa przesunęło się w ostatnich godzinach przez prowincję Santiago de Cuba. Jak czytamy, interakcja tego układu z lądem nadal go osłabiała, a maksymalna prędkość wiatru spadła do 185 kilometrów na godzinę.

    Nadal jest to jednak silny huragan, kategorii 3 w skali Saffira-Simpsona.

    Według BBC, po opuszczeniu Kuby około południa (czasu polskiego), Melissa uda się w kierunku Bahamów, gdzie dotrze w godzinach popołudniowych.

    I choć siła huraganu nadal słabnie, prawdopodobnie będzie to burza kategorii drugiej ze stałą prędkością wiatru wynoszącą około 160-170 km/h.

    Prognozuje się, że trasa biegu centrum Melissy będzie przebiegać między Long Island i Crooked Island.

    Jak pisze agencja Reuters, huragan Melissa nie mógł pojawić się w gorszym momencie dla tej komunistycznej wyspy na Karaibach. Na Kubie już teraz występują niedobory żywności, paliwa, prądu i leków, co utrudnia życie wielu osobom i jest przyczyną rekordowej emigracji.

    Żywioł, który przechodzi teraz przez wyspę, może sytuację jeszcze pogorszyć.

    Mieszkańcy Santiago de Cuba przygotowywali się na przyjście huraganu
    Mieszkańcy Santiago de Cuba przygotowywali się na przyjście huraganu© EAST_NEWS | YAMIL LAGE

    Opublikowano najnowsze dane z Narodowego Centrum ds. Huraganów (NHC). Z pomiarów wynika, że huragan przemieszcza się obecnie jeszcze przez wschodnią Kubę.

    Haiti i Dominikana doświadczą dziś "katastrofalnych" i gwałtownych powodzi. Podobnie sytuacja już za kilka godzin może wyglądać na Bahamach, gdzie dotrze Melissa.

    Dalej na wschód, na Wyspach Turks i Caicos, spodziewane są burze tropikalne i silne fale sztormowe. Z kolei na Bermudach żywioł ma pojawić się jutro.

    Służby na Kubie pomagają setkom tysięcy osób w ewakuacji do schronów i na wyżej położone tereny.

    W wielu rejonach wyspy uliczki zamieniły się w rwące potoki. W sieci pojawiają się kolejne nagrania.

    Służby jamajskie rozpoczynają usuwanie pierwszych skutków żywiołu. Jak zapowiada policja "wszystkie ręce na pokład". Jeszcze dziś rozpocznie się szacowanie skali zniszczeń.

    W Kingston, stolicy Jamajki, wiatr zaczyna słabnąć, ale ładze apelują do mieszkańców o pozostanie w budynkach jeszcze przez kilka godzin.

    Oko huraganu Melissa przeszło już nad Jamajką, ale jego ogon wciąż może wyrządzić szkody. Narodowe Centrum Huraganów ostrzega, że ​​na wyspie może spaść jeszcze od 7 do 15 centymetrów deszczu. To oznacza, że ​​suma opadów w niektórych obszarach - szczególnie w górzystych rejonach centralnej części wyspy - przekroczy 60 centymetrów.

    W sieci pojawia się też nieprawdziwe, np. wygenerowane przez AI, zdjęcia, które mają rzekomo pokazywać skutki przejścia huraganu Melissa.

    Jednym z nich jest zdjęcie rekina, pływającego między domami na Jamajce. Meteorolog Fox New ostrzega, że jest to "fake".

    Przedstawiciele władz Bahamów apelują do ludzi o zadbanie o swoje bezpieczeństwo. Huragan ma dotrzeć w te rejony dziś po południu czasu lokalnego.

    - To ostatnia szansa aby znaleźć schronienie - powiedział Leon Lundy, minister ds. zarządzania ryzykiem klęsk żywiołowych, podczas konferencji prasowej.

    Według władz z południowych Bahamów ewakuowano dotąd 1348 mieszkańców.

    Jak podaje Reuters, ulewne deszcze nawiedziły drugie co do wielkości miasto Kuby, Santiago de Cuba już na kilka godzin przed uderzeniem huraganu Melissa, które nastąpiło ok. godz. 4 rano.

    Według AccuWeather jest to trzeci najpotężniejszy huragan obserwowany na Karaibach po Wilmie w 2005 roku i Gilbercie w 1988 roku.

    Kobieta mieszkająca w pobliżu stolicy Jamajki, Kingston, opowiedziała w rozmowie z CNN, jak ​​ona i jej 11-letnie dziecko przetrwali "straszną" noc, gdy wyspę nawiedził huragan Melissa.

    - Słyszeć wycie wiatru na zewnątrz, słyszeć ryk morza, zastanawiać się, co będzie dalej, widzieć przewracające się drzewa, różne przedmioty latające na wietrze.. to było przerażające - relacjonowała.

    W sieci pojawiają się kolejne nagrania z różnych części Jamajki. Widać na nich przerażającą siłę żywiołu.

    Od momentu dotarcia do lądu w pobliżu miasta Chivirico w południowo-wschodniej Kubie, Melissa dociera na północny wschód wyspy. Jak podaje BBC, huragan przemieszcza się powoli, z prędkością 8 km/h.

    Zgodnie z przewidywaniami, przejdzie później przez centralne Bahamy, a w czwartek wieczorem zbliży się do Bermudów, stając się huraganem kategorii 1.